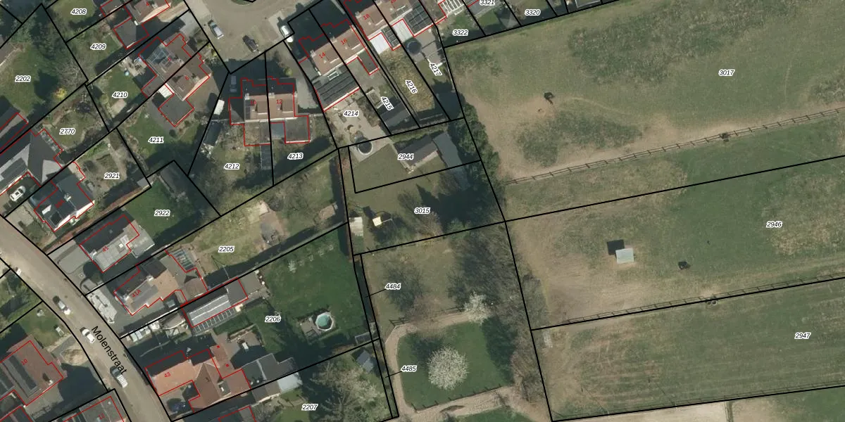
Perceel: BOR00-F-3015
KadastraleKaart.com kan meer dan je denktOntdek meer ›
Filter op bestemming 50+ datasets Eigendomsdata in één klik Percelen CRM
Geen adressen bij dit perceel
555 m2 - 123 m
Eigenaar opvragen
BOR00-F-3015 (Born)
- Geen postcode aanwezig
z071lYDW7z Pyy6NcUpgrade naar KadastraleKaart Pro
Bekijk op Street View
Download DWG/DXF/Excel
IWllRXSaUpgrade naar KadastraleKaart Pro
elEHoLzlUpgrade naar KadastraleKaart Pro
PWd2CM 6VMmkWgttPUpgrade naar KadastraleKaart Pro
jnCcb2Upgrade naar KadastraleKaart Pro
J5wUWIvNF5NwBy1nUNJpiQUpgrade naar KadastraleKaart Pro
mZDYv9goGhSYXStp6F Upgrade naar KadastraleKaart Pro
unpJsLjbc OnFArC 5z6 1cUpgrade naar KadastraleKaart Pro
4B07 ncMqe7Upgrade naar KadastraleKaart Pro
HWS5Jjh5V50YxJezKf Upgrade naar KadastraleKaart Pro
WfINcOt8mB pskO3A0e0Upgrade naar KadastraleKaart Pro
07/07/2009

Percelen
Gebruik de zoekbalk of klik op een perceel om informatie over het perceel te bekijken.