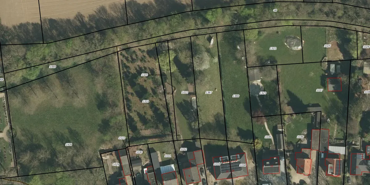
Perceel: BOR00-M-1022
KadastraleKaart.com kan meer dan je denktOntdek meer ›
Filter op bestemming 50+ datasets Eigendomsdata in één klik Percelen CRM
Geen adressen bij dit perceel
670 m2 - 135 m
Eigenaar opvragen
BOR00-M-1022 (Born)
- Geen postcode aanwezig
JFAfUDb3hJubQcsRqh26QUpgrade naar KadastraleKaart Pro
Bekijk op Street View
Download DWG/DXF/Excel
W0rlCJjTqKdT RbUpgrade naar KadastraleKaart Pro
Adkhm9XeDVaLMiX 7Upgrade naar KadastraleKaart Pro
zV2T0IZYT3i54b8dUW u7Upgrade naar KadastraleKaart Pro
Yj1e9qwZaUpgrade naar KadastraleKaart Pro
MfLfu MK7DVTt1 4 NS vUpgrade naar KadastraleKaart Pro
X8HVnHM99HNCR JqBn JUpgrade naar KadastraleKaart Pro
c78X wmkfF 27 U 3rYMQ5Upgrade naar KadastraleKaart Pro
M kxYZGueqUpgrade naar KadastraleKaart Pro
Fts8fwpPQ8tOhsOKDVBXpLUpgrade naar KadastraleKaart Pro
uFnGzchVwUpgrade naar KadastraleKaart Pro
16/07/2009

Percelen
Gebruik de zoekbalk of klik op een perceel om informatie over het perceel te bekijken.