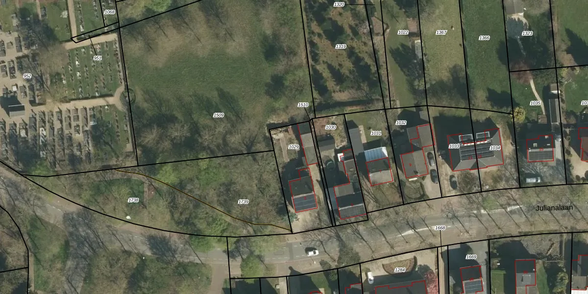
Perceel: BOR00-M-1029
KadastraleKaart.com kan meer dan je denktOntdek meer ›
Filter op bestemming 50+ datasets Eigendomsdata in één klik Percelen CRM
515 m2 - 101 m
Eigenaar opvragen
BOR00-M-1029 (Born)
- 6124 AG
ZFCDCObGs0OFvN Qb vloQVWUpgrade naar KadastraleKaart Pro
Verkoopprijs opvragen
Bekijk op Street View
Download DWG/DXF/Excel
zOfP d0EJJr p 5 8FUpgrade naar KadastraleKaart Pro
K3NNP T T3keY88TD efUpgrade naar KadastraleKaart Pro
p LCrm1Fl96apTd 8r2zUpgrade naar KadastraleKaart Pro
R3z xXNRt7yqHmn7Upgrade naar KadastraleKaart Pro
pKgNMxV0V5Upgrade naar KadastraleKaart Pro
377CyIdaiPUpgrade naar KadastraleKaart Pro
iYkJMKAvE6CYYcFEKMNUSP2Upgrade naar KadastraleKaart Pro
moW lUEaplKq26fUpgrade naar KadastraleKaart Pro
MEJE9ebs399LFf51Upgrade naar KadastraleKaart Pro
rIhz8aoEJAQWXack5Upgrade naar KadastraleKaart Pro
24/11/2025

Percelen
Gebruik de zoekbalk of klik op een perceel om informatie over het perceel te bekijken.