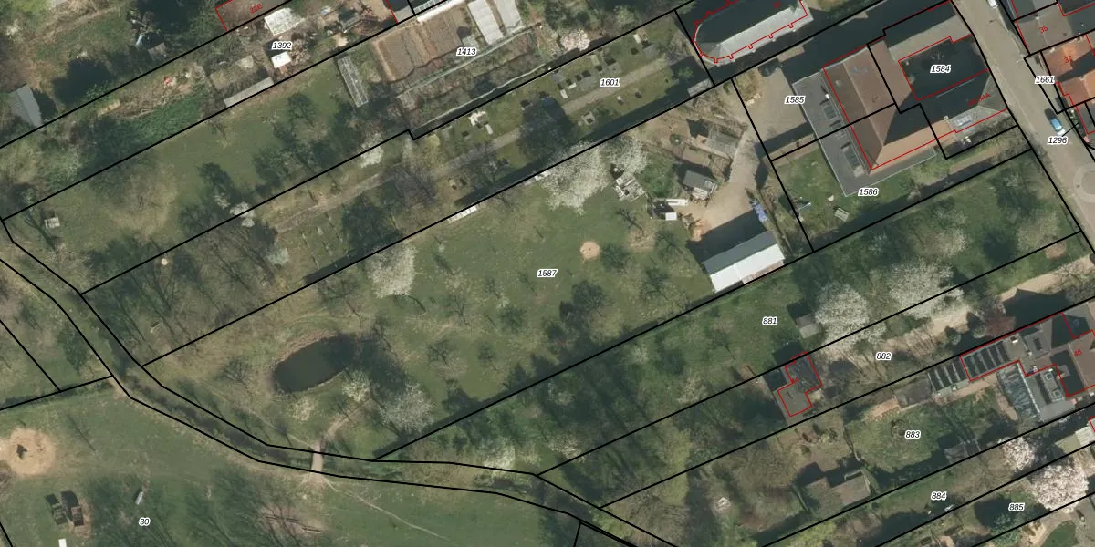
Perceel: BOR00-M-1587
KadastraleKaart.com kan meer dan je denktOntdek meer ›
Filter op bestemming 50+ datasets Eigendomsdata in één klik Percelen CRM
Geen adressen bij dit perceel
3.739 m2 - 291 m
Eigenaar opvragen
BOR00-M-1587 (Born)
- Geen postcode aanwezig
THwbSN8QqLcqlLSzz6y6IxjJUpgrade naar KadastraleKaart Pro
Bekijk op Street View
Download DWG/DXF/Excel
H3qq qxi6TX2x xFsvAwmRUpgrade naar KadastraleKaart Pro
IEujdbEwzUpgrade naar KadastraleKaart Pro
gfjK24NmUpgrade naar KadastraleKaart Pro
f4RhJdgDYlMKhmlIbkRUpgrade naar KadastraleKaart Pro
grWmHgcS76Ph UiVtSfancUpgrade naar KadastraleKaart Pro
ldLljmhapCHUpgrade naar KadastraleKaart Pro
a8 9a9FNGKAzMt6DUpgrade naar KadastraleKaart Pro
JwssXKhQ5p o5IWLLAUxUpgrade naar KadastraleKaart Pro
HX n7KK Upgrade naar KadastraleKaart Pro
Ai2EkgV8u83U5GZWOQUpgrade naar KadastraleKaart Pro
26/05/2011

Percelen
Gebruik de zoekbalk of klik op een perceel om informatie over het perceel te bekijken.