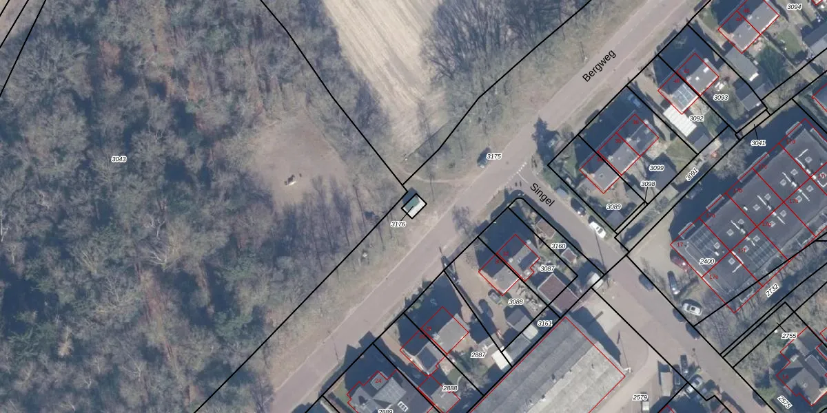
Perceel: BRC00-A-3176
Geen adressen bij dit perceel
18 m2 - 17 m
Eigenaar opvragen
BRC00-A-3176 (Blaricum)
- Geen postcode aanwezig
h9KfmfMdzZQkQ rROAw a1ZvesoQAW9Upgrade naar KadastraleKaart Pro
Bekijk op Street View
Download DWG/DXF/Excel
KdB JBtzeUpgrade naar KadastraleKaart Pro
5p eZii8YaSrO xUpgrade naar KadastraleKaart Pro
llQRM hX4UTKl3QC8bnDUpgrade naar KadastraleKaart Pro
DDs 2K9ULOte fly3cO PUpgrade naar KadastraleKaart Pro
dbRJ 7xBuGzZADA6Mc3l FUpgrade naar KadastraleKaart Pro
OYGpcCRaUpgrade naar KadastraleKaart Pro
aQ4v 3qvZ upomqKXw aDUpgrade naar KadastraleKaart Pro
bsvmm chN8W6UZNBZJk6NMUpgrade naar KadastraleKaart Pro
s3YsMnXnkSM mUpgrade naar KadastraleKaart Pro
SD2J Z pJ1gBPks6u8IUpgrade naar KadastraleKaart Pro
24/11/2025

Percelen
Gebruik de zoekbalk of klik op een perceel om informatie over het perceel te bekijken.