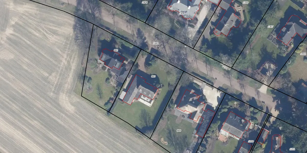
Perceel: BRC00-D-883
KadastraleKaart.com kan meer dan je denktOntdek meer ›
Filter op bestemming 50+ datasets Eigendomsdata in één klik Percelen CRM
1.465 m2 - 159 m
Eigenaar opvragen
BRC00-D-883 (Blaricum)
- 1261 BX
rtn1Lq YGCyFL5V9NffhS Upgrade naar KadastraleKaart Pro
Bekijk op Street View
Download DWG/DXF/Excel
6j2R 2tNlQiZmdNM9DMplUpgrade naar KadastraleKaart Pro
I 6F319487PQHJjO6ZUpgrade naar KadastraleKaart Pro
ZurJZCbKjY9gnnSfA3XUpgrade naar KadastraleKaart Pro
cFOimHXNsBhRU dS 1 qUpgrade naar KadastraleKaart Pro
VEWa5b36kbJ1Upgrade naar KadastraleKaart Pro
sCOJvbRpjUpgrade naar KadastraleKaart Pro
PV Kalf19dGr2OHIRHytUpgrade naar KadastraleKaart Pro
9IHPh4PiyUpgrade naar KadastraleKaart Pro
g7aXvpAMF e Upgrade naar KadastraleKaart Pro
n6TIasZVaRUpgrade naar KadastraleKaart Pro
27/02/2023

Percelen
Gebruik de zoekbalk of klik op een perceel om informatie over het perceel te bekijken.