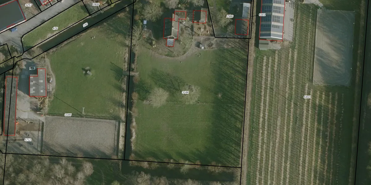
Perceel: BRD00-A-3184
KadastraleKaart.com kan meer dan je denktOntdek meer ›
Filter op bestemming 50+ datasets Eigendomsdata in één klik Percelen CRM
5.615 m2 - 321 m
Eigenaar opvragen
BRD00-A-3184 (Barendrecht)
- 2993 AG
tV55b6nfqYmtp7baVzdPFVVBokMpUpgrade naar KadastraleKaart Pro
Bekijk op Street View
Download DWG/DXF/Excel
mEJ3ddvFBvb1ahgBaUpgrade naar KadastraleKaart Pro
2YYm DmncSRUpgrade naar KadastraleKaart Pro
oL8W76IDld8QD UbP1dO DUpgrade naar KadastraleKaart Pro
YAh8By c8CYl70C0sTeaYUpgrade naar KadastraleKaart Pro
m UiUY2QefrFhsIxUpgrade naar KadastraleKaart Pro
1 bmMaQ 6o1XL2HzRcOiUpgrade naar KadastraleKaart Pro
Udstsd 1uoEb6KV2 TUpgrade naar KadastraleKaart Pro
cFc6HoTAfXrTpnfV4O0Upgrade naar KadastraleKaart Pro
s CA Y0vpDyF FSWUpgrade naar KadastraleKaart Pro
Ml3pB lZMgcUpgrade naar KadastraleKaart Pro
02/04/2008

Percelen
Gebruik de zoekbalk of klik op een perceel om informatie over het perceel te bekijken.