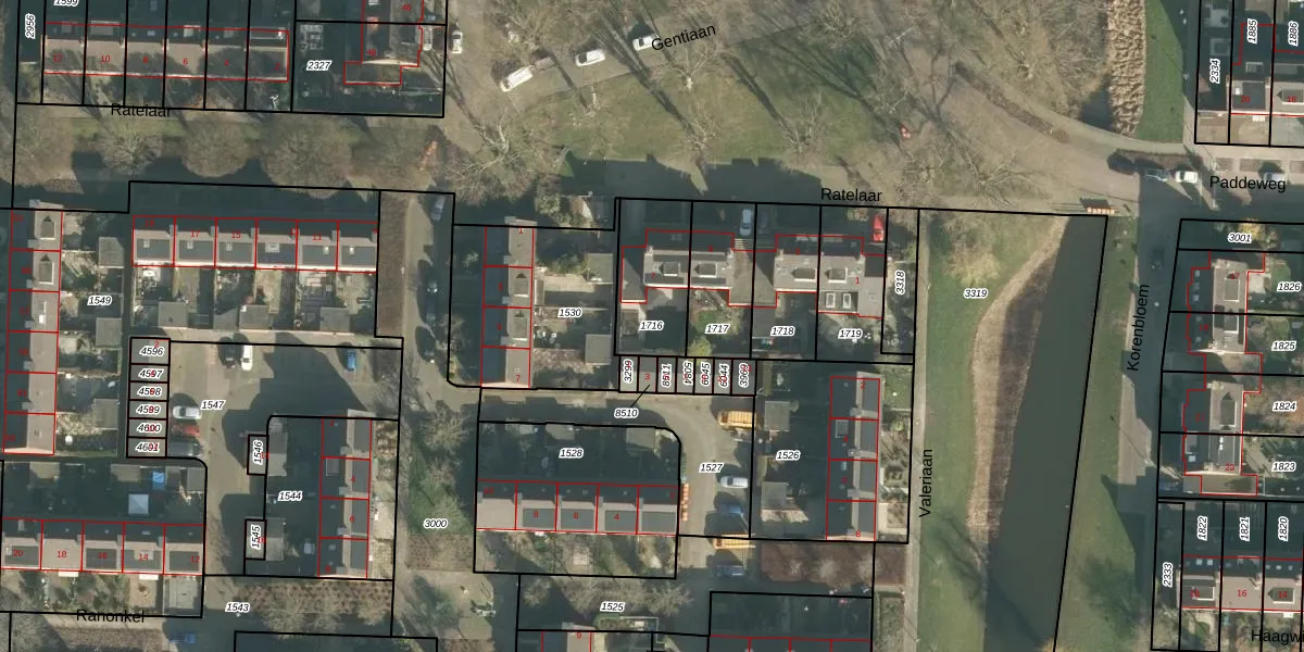
Perceel: BRD00-B-1716
KadastraleKaart.com kan meer dan je denktOntdek meer ›
Filter op bestemming 50+ datasets Eigendomsdata in één klik Percelen CRM
261 m2 - 70 m
Eigenaar opvragen
BRD00-B-1716 (Barendrecht)
- 2992 VT
X5dI SZ wlExJJKqhlp pkUpgrade naar KadastraleKaart Pro
Verkoopprijs opvragen
Bekijk op Street View
Download DWG/DXF/Excel
WbBqX2ssyICUpgrade naar KadastraleKaart Pro
sl ZCf4FPUpgrade naar KadastraleKaart Pro
RL6dl68bxhMXiKfvYUpgrade naar KadastraleKaart Pro
77mtX4qWi4cORJXU1cUpgrade naar KadastraleKaart Pro
XuMSBe 7MaN 0IUpgrade naar KadastraleKaart Pro
SB9OrgxPzw H b3r83gt8Upgrade naar KadastraleKaart Pro
zWh0 Ri4zxMUpgrade naar KadastraleKaart Pro
yab7tLGmfd 6Tdrhhf7 C1Upgrade naar KadastraleKaart Pro
HhLNeI7WbCUpgrade naar KadastraleKaart Pro
jH 18pUpgrade naar KadastraleKaart Pro
18/09/2012

Percelen
Gebruik de zoekbalk of klik op een perceel om informatie over het perceel te bekijken.