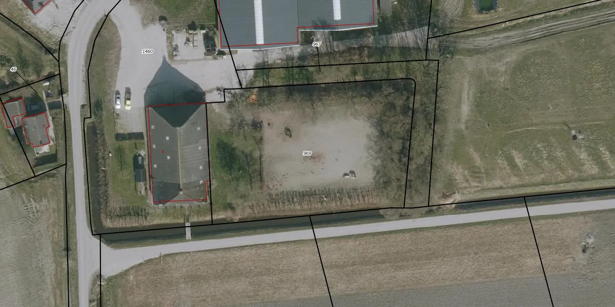
Perceel: BRM02-A-969
KadastraleKaart.com kan meer dan je denktOntdek meer ›
Filter op bestemming 50+ datasets Eigendomsdata in één klik Percelen CRM
Geen adressen bij dit perceel
2.900 m2 - 216 m
Eigenaar opvragen
BRM02-A-969 (Burum)
- Geen postcode aanwezig
GPDBO uJjgrcYKP6aQ3WY xUpgrade naar KadastraleKaart Pro
Bekijk op Street View
Download DWG/DXF/Excel
UhQHhFP4x4nK0TIa5 N 1 Upgrade naar KadastraleKaart Pro
86QeD8DlUpgrade naar KadastraleKaart Pro
KE3BqAIlszopUpgrade naar KadastraleKaart Pro
bMV7C WkUpgrade naar KadastraleKaart Pro
JyBVv6st DfNX9XirauhdUpgrade naar KadastraleKaart Pro
8J9FelhIfUpgrade naar KadastraleKaart Pro
c1Qe99kDDzGY cwlyzWUpgrade naar KadastraleKaart Pro
GJOy LpT8yg4kfaS0 Upgrade naar KadastraleKaart Pro
R5uopgvr5QKNzUpgrade naar KadastraleKaart Pro
hNdL d4 g JyC7ZeUifUpgrade naar KadastraleKaart Pro
15/01/1998

Percelen
Gebruik de zoekbalk of klik op een perceel om informatie over het perceel te bekijken.