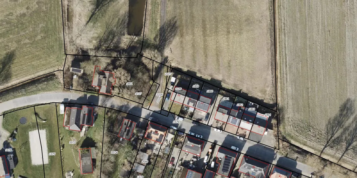
Perceel: BRM02-C-2226
KadastraleKaart.com kan meer dan je denktOntdek meer ›
Filter op bestemming 50+ datasets Eigendomsdata in één klik Percelen CRM
223 m2 - 70 m
Eigenaar opvragen
BRM02-C-2226 (Burum)
- 9852 TA
6b1If RwnUnTxCFp2VarXxW7pUpgrade naar KadastraleKaart Pro
Verkoopprijs opvragen
Bekijk op Street View
Download DWG/DXF/Excel
Gh5Apc8BUpgrade naar KadastraleKaart Pro
fFatzOvN f719J6 p cMAUpgrade naar KadastraleKaart Pro
hFMlv5wXpUpgrade naar KadastraleKaart Pro
wXIk9Tc4qidwRdIuTUpgrade naar KadastraleKaart Pro
Ovg4ZpghOoneEdyCJgQaaSUpgrade naar KadastraleKaart Pro
28TZoB0LrdWE5yufnJaUpgrade naar KadastraleKaart Pro
bDUGAnJUKZRUpgrade naar KadastraleKaart Pro
B17STYsKP G 8VYEeXEUpgrade naar KadastraleKaart Pro
AU 1xCm1c6DZyjK4NnUpgrade naar KadastraleKaart Pro
kvZ McoQmVZR7bDcy n1Upgrade naar KadastraleKaart Pro
06/12/2016

Percelen
Gebruik de zoekbalk of klik op een perceel om informatie over het perceel te bekijken.