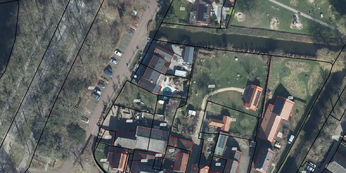
Perceel: BRN00-C-671
KadastraleKaart.com kan meer dan je denktOntdek meer ›
Filter op bestemming 50+ datasets Eigendomsdata in één klik Percelen CRM
400 m2 - 90 m
Eigenaar opvragen
BRN00-C-671 (Buren)
- 4116 CC
3tfimL3vzcmeyvSbUpgrade naar KadastraleKaart Pro
Bekijk op Street View
Download DWG/DXF/Excel
5 Uh 0iHaB9VBm Upgrade naar KadastraleKaart Pro
bc WKyMIGhFVD ymowBMeEUpgrade naar KadastraleKaart Pro
pxmogT50O3QLUpgrade naar KadastraleKaart Pro
F79IhIM Upgrade naar KadastraleKaart Pro
alU6ToC Ak Iy fDKp xPUpgrade naar KadastraleKaart Pro
PRf QfIT DrO4Upgrade naar KadastraleKaart Pro
R3DowL8ttC5j mZDUpgrade naar KadastraleKaart Pro
oZ3lAV8s W3CyJ tYPi2 Upgrade naar KadastraleKaart Pro
PGKNrAOgUpgrade naar KadastraleKaart Pro
G9aoOsXHbNddiVt TCnUpgrade naar KadastraleKaart Pro
17/03/2010

Percelen
Gebruik de zoekbalk of klik op een perceel om informatie over het perceel te bekijken.