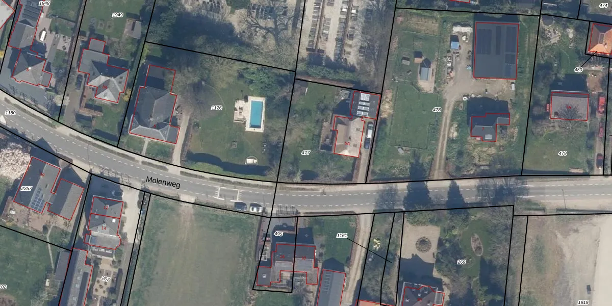
Perceel: BRN00-M-477
KadastraleKaart.com kan meer dan je denktOntdek meer ›
Filter op bestemming 50+ datasets Eigendomsdata in één klik Percelen CRM
945 m2 - 122 m
Eigenaar opvragen
BRN00-M-477 (Buren)
- 4112 NP
rGDPDNnQKbr0DYU C JbhDFjfBUXhUpgrade naar KadastraleKaart Pro
Bekijk op Street View
Download DWG/DXF/Excel
DOFRi9a sJ4sXIrfmOOUpgrade naar KadastraleKaart Pro
G8BgVBzWebn8JUpgrade naar KadastraleKaart Pro
wFvstL0asL9YxYUpgrade naar KadastraleKaart Pro
cx5Wm P1AzNwVciRpUpgrade naar KadastraleKaart Pro
nNNKzPREsQJ49bSr7qB7Upgrade naar KadastraleKaart Pro
g2B9WHnvpD o4Upgrade naar KadastraleKaart Pro
jgX1Lt go0ZE9PJ7pOoRAUpgrade naar KadastraleKaart Pro
jNeCas bAAgpQRGW27vokL2Upgrade naar KadastraleKaart Pro
mSBpJGJpORUpgrade naar KadastraleKaart Pro
L MNIFh4w TastcyjIzVzPMUpgrade naar KadastraleKaart Pro
08/08/2002

Percelen
Gebruik de zoekbalk of klik op een perceel om informatie over het perceel te bekijken.