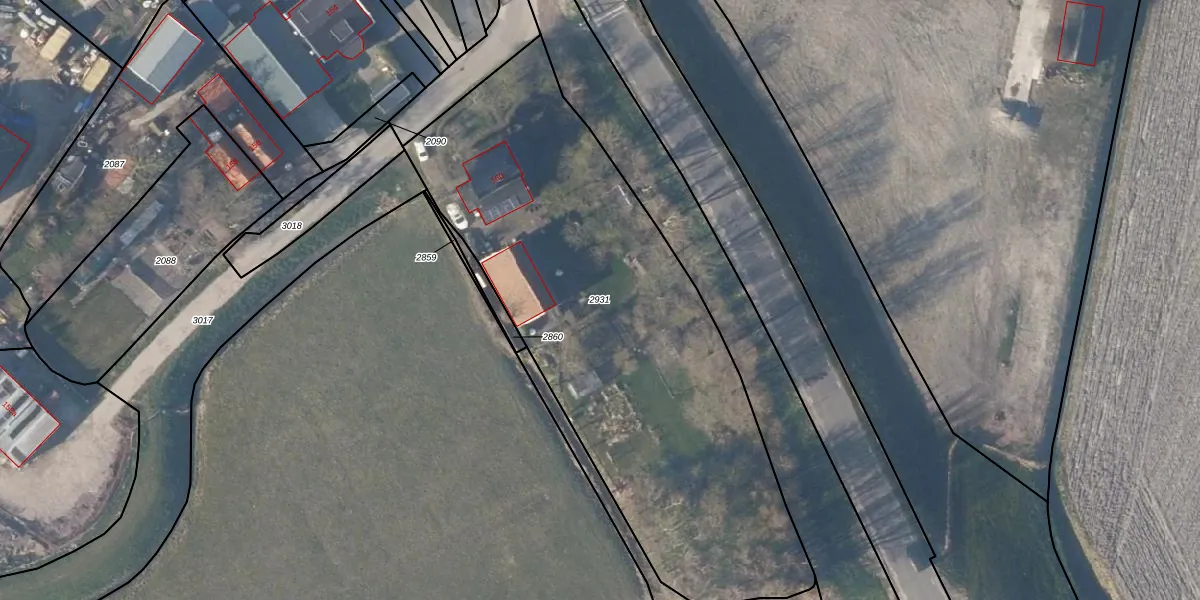
Perceel: BSG00-B-2931
KadastraleKaart.com kan meer dan je denktOntdek meer ›
Filter op bestemming 50+ datasets Eigendomsdata in één klik Percelen CRM
2.395 m2 - 245 m
Eigenaar opvragen
BSG00-B-2931 (Barsingerhorn)
- 1767 CV
Kr9vUiMzRKDNgxCQYAy2d3XtUpgrade naar KadastraleKaart Pro
Verkoopprijs opvragen
Bekijk op Street View
Download DWG/DXF/Excel
aIePl0RWNKW5aEpi7FDsUpgrade naar KadastraleKaart Pro
70B7PF4whw ePWT5GUpgrade naar KadastraleKaart Pro
iEdy8a10UK0Zb6ERVCbYqvUpgrade naar KadastraleKaart Pro
pjGM QUop lGRlokQUpgrade naar KadastraleKaart Pro
Ntiz 2i q4YU4Mx1N2RUpgrade naar KadastraleKaart Pro
piEqU CyMwmWUpgrade naar KadastraleKaart Pro
C 6FKxbRI TUpgrade naar KadastraleKaart Pro
IsIEQwvUbUpgrade naar KadastraleKaart Pro
7MT8ZVH1dRbuYUpgrade naar KadastraleKaart Pro
DCV 9tA lam88kLkEUpgrade naar KadastraleKaart Pro
03/12/2025

Percelen
Gebruik de zoekbalk of klik op een perceel om informatie over het perceel te bekijken.