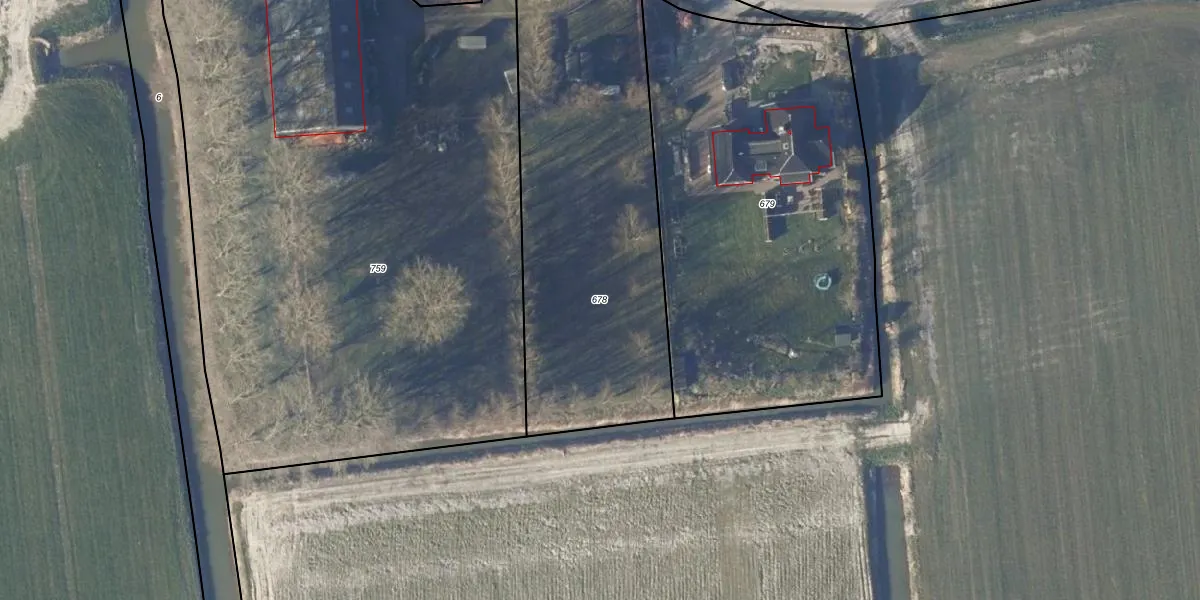
Perceel: BSG00-G-678
KadastraleKaart.com kan meer dan je denktOntdek meer ›
Filter op bestemming 50+ datasets Eigendomsdata in één klik Percelen CRM
Geen adressen bij dit perceel
1.810 m2 - 213 m
Eigenaar opvragen
BSG00-G-678 (Barsingerhorn)
- Geen postcode aanwezig
12uF62BLOh7Tdf6pJqTIsUpgrade naar KadastraleKaart Pro
Bekijk op Street View
Download DWG/DXF/Excel
ukD pwKOT4nPbFbjG B0Upgrade naar KadastraleKaart Pro
bBkD8uXl GA6xUpgrade naar KadastraleKaart Pro
M J88YBOdlUpgrade naar KadastraleKaart Pro
tu6LuFiDibFUpgrade naar KadastraleKaart Pro
hSYw Z95Ij0kcnbUpgrade naar KadastraleKaart Pro
yJ3Q2l N GFoXIS7Upgrade naar KadastraleKaart Pro
67 PFxdkDhv5oUpgrade naar KadastraleKaart Pro
6 TCKt w1AMFR4Fk uUpgrade naar KadastraleKaart Pro
BmYqIIbGlxxN z j53Jty KUpgrade naar KadastraleKaart Pro
KtHnU7ARiWyTHkUpgrade naar KadastraleKaart Pro
19/03/2009

Percelen
Gebruik de zoekbalk of klik op een perceel om informatie over het perceel te bekijken.