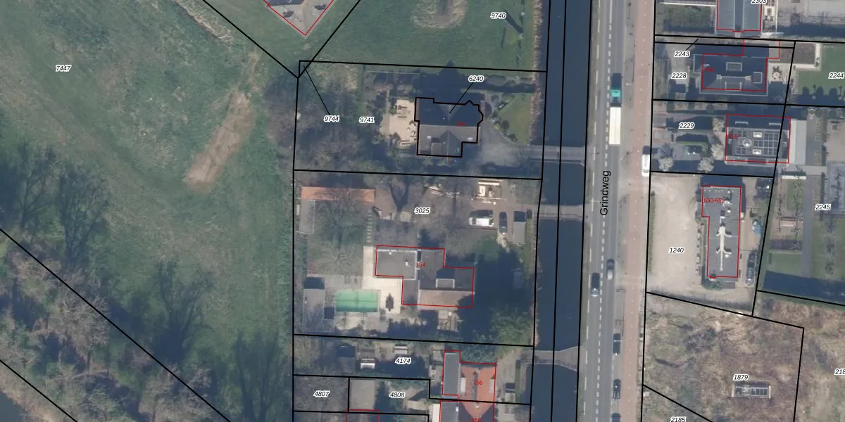
Perceel: BSH00-B-3025
KadastraleKaart.com kan meer dan je denktOntdek meer ›
Filter op bestemming 50+ datasets Eigendomsdata in één klik Percelen CRM
2.300 m2 - 195 m
Eigenaar opvragen
BSH00-B-3025 (Bergschenhoek)
- 2661 CW
AFFa6qS9L9gw1og REnsgRUpgrade naar KadastraleKaart Pro
Verkoopprijs opvragen
Bekijk op Street View
Download DWG/DXF/Excel
hUnQXtMjMvUpgrade naar KadastraleKaart Pro
b7H ZYamY1SMBO3DZUoGH2Upgrade naar KadastraleKaart Pro
2t86bO0bhmsyfUt0YwUpgrade naar KadastraleKaart Pro
h60zH2JuUpgrade naar KadastraleKaart Pro
T 7VkiYrdL allKB4ZVt2lUpgrade naar KadastraleKaart Pro
w b3v0r4k4f fUpgrade naar KadastraleKaart Pro
VSVo RrjDHjmIabUpgrade naar KadastraleKaart Pro
3WQntb WMI7Upgrade naar KadastraleKaart Pro
HeTeAgcUUpgrade naar KadastraleKaart Pro
HQiVfkvhVwQ 56V0 sD3Upgrade naar KadastraleKaart Pro
29/05/2006

Percelen
Gebruik de zoekbalk of klik op een perceel om informatie over het perceel te bekijken.