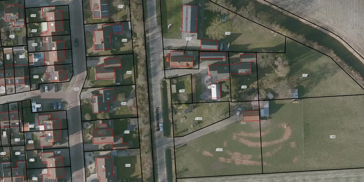
Perceel: BSL01-K-246
KadastraleKaart.com kan meer dan je denktOntdek meer ›
Filter op bestemming 50+ datasets Eigendomsdata in één klik Percelen CRM
Geen adressen bij dit perceel
174 m2 - 54 m
Eigenaar opvragen
BSL01-K-246 (Borsele)
- Geen postcode aanwezig
cDhX8RpM8vsWVsjXVAcY5tauwPP7RUpgrade naar KadastraleKaart Pro
Bekijk op Street View
Download DWG/DXF/Excel
HsLDWvTFb6Pr8 TpL3It24 Upgrade naar KadastraleKaart Pro
dVfwb 3 DrqDQ1Upgrade naar KadastraleKaart Pro
vi 3P3FR7Upgrade naar KadastraleKaart Pro
BS LskrzBBODjUpgrade naar KadastraleKaart Pro
1HvlpQMIUpgrade naar KadastraleKaart Pro
Wp hOOg0 tIbaNmvCqUpgrade naar KadastraleKaart Pro
fW1XG clUpgrade naar KadastraleKaart Pro
mJtpXfQjUp0Kve Upgrade naar KadastraleKaart Pro
tE7cDanzBO8bjZOwqzgyUpgrade naar KadastraleKaart Pro
T7e7PQ9i9cKKBmESxG2JdeuUpgrade naar KadastraleKaart Pro
27/03/2007

Percelen
Gebruik de zoekbalk of klik op een perceel om informatie over het perceel te bekijken.