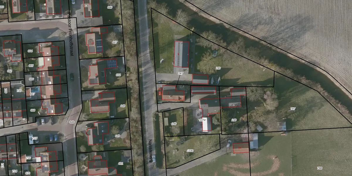
Perceel: BSL01-K-247
KadastraleKaart.com kan meer dan je denktOntdek meer ›
Filter op bestemming 50+ datasets Eigendomsdata in één klik Percelen CRM
202 m2 - 60 m
Eigenaar opvragen
BSL01-K-247 (Borsele)
- 4453 VH
ZCGKAI6CGBYZqQexDhQUmOlynl4bUpgrade naar KadastraleKaart Pro
Verkoopprijs opvragen
Bekijk op Street View
Download DWG/DXF/Excel
s Bu4jGlT4G2 gUz19eUpgrade naar KadastraleKaart Pro
vyQ4Tez2VUpgrade naar KadastraleKaart Pro
tfo0pVpbQUpgrade naar KadastraleKaart Pro
L0Q4CbZu4C5lYUpgrade naar KadastraleKaart Pro
BZpwsIfF A U9ejUpgrade naar KadastraleKaart Pro
K1 bICuAS h6Upgrade naar KadastraleKaart Pro
GIR4XB lJXvsawUpgrade naar KadastraleKaart Pro
4xPuGmj1 ui8n3Upgrade naar KadastraleKaart Pro
pRO AXDpZ7Upgrade naar KadastraleKaart Pro
W eVwZZZZ 7Upgrade naar KadastraleKaart Pro
27/03/2007

Percelen
Gebruik de zoekbalk of klik op een perceel om informatie over het perceel te bekijken.