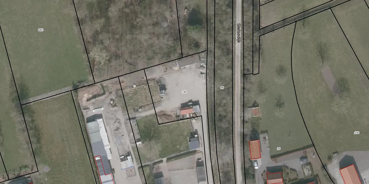
Perceel: BSL01-R-740
KadastraleKaart.com kan meer dan je denktOntdek meer ›
Filter op bestemming 50+ datasets Eigendomsdata in één klik Percelen CRM
Geen adressen bij dit perceel
1.420 m2 - 365 m
Eigenaar opvragen
BSL01-R-740 (Borsele)
- Geen postcode aanwezig
e Z b1sdxttjLutcNfb5e Glp9JNUpgrade naar KadastraleKaart Pro
Bekijk op Street View
Download DWG/DXF/Excel
HdT RjK tfeUpgrade naar KadastraleKaart Pro
0J9VwGnfjxOsm BtbWWwAUpgrade naar KadastraleKaart Pro
PlBcRLVWKVjUpgrade naar KadastraleKaart Pro
n29m jfgDmzNczhmrF1Upgrade naar KadastraleKaart Pro
i3IyXwUDIaPUpgrade naar KadastraleKaart Pro
B eT6E o ajOUpgrade naar KadastraleKaart Pro
ScXWuo9uUpgrade naar KadastraleKaart Pro
n0FeVmPzjt1P6Upgrade naar KadastraleKaart Pro
sBss oal9OmCoV6U qAb1Upgrade naar KadastraleKaart Pro
OXezE OqVdnUpgrade naar KadastraleKaart Pro
18/03/2003

Percelen
Gebruik de zoekbalk of klik op een perceel om informatie over het perceel te bekijken.