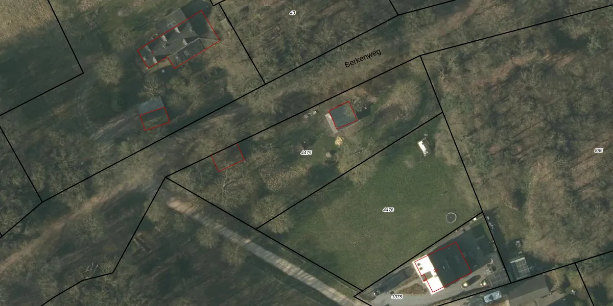
Perceel: BSL02-B-4475
KadastraleKaart.com kan meer dan je denktOntdek meer ›
Filter op bestemming 50+ datasets Eigendomsdata in één klik Percelen CRM
Geen adressen bij dit perceel
2.030 m2 - 218 m
Eigenaar opvragen
BSL02-B-4475 (Beesel)
- Geen postcode aanwezig
p7TTJXiqNDu qicJyRfMlUpgrade naar KadastraleKaart Pro
Bekijk op Street View
Download DWG/DXF/Excel
H6Sj 48vR5aZ8Upgrade naar KadastraleKaart Pro
j4 tEGIy1WcAwu3Upgrade naar KadastraleKaart Pro
FXRuuxe zSYUpgrade naar KadastraleKaart Pro
sUAm IzfDH5bj2bUpgrade naar KadastraleKaart Pro
xAv2DnlFq3ozJJ VsUpgrade naar KadastraleKaart Pro
lF19pfXZqsw8yWFZQ6axUpgrade naar KadastraleKaart Pro
2ZR5BTQdIpXtlsl FUpgrade naar KadastraleKaart Pro
UK1xowq P18XKQanfzAaYpcUpgrade naar KadastraleKaart Pro
L1GTyYrKwSUpgrade naar KadastraleKaart Pro
p oWfrVWpBACV07CUpgrade naar KadastraleKaart Pro
15/08/2013

Percelen
Gebruik de zoekbalk of klik op een perceel om informatie over het perceel te bekijken.