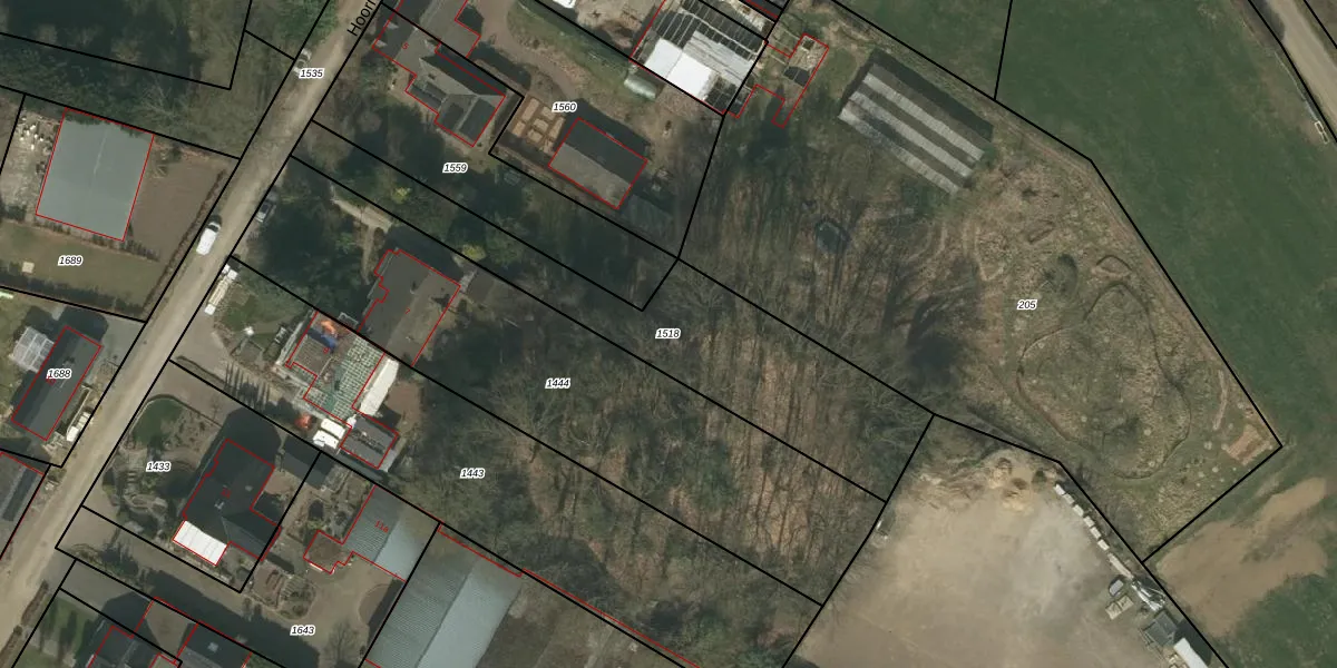
Perceel: BSL02-F-1518
Geen adressen bij dit perceel
940 m2 - 236 m
Eigenaar opvragen
BSL02-F-1518 (Beesel)
- Geen postcode aanwezig
4RojLDMf3Lv YhYGNg9Ovev5ifpIm8Upgrade naar KadastraleKaart Pro
Bekijk op Street View
Download DWG/DXF/Excel
GzvzRJd3TOXUpgrade naar KadastraleKaart Pro
JriAN uOI9Upgrade naar KadastraleKaart Pro
xhXtqj1NZF4 R 0Upgrade naar KadastraleKaart Pro
wfwqDlD0wCxZz7Upgrade naar KadastraleKaart Pro
z1N tNslnwBLwKiX XdV Upgrade naar KadastraleKaart Pro
cjHtj 0aGfVIjpoK30BUpgrade naar KadastraleKaart Pro
JwIx t6ZV bflIUpgrade naar KadastraleKaart Pro
N5b0SJqvxUpgrade naar KadastraleKaart Pro
2mI8jt6gBgvYzber Upgrade naar KadastraleKaart Pro
Znlkor4wCCazzUDxpg NUpgrade naar KadastraleKaart Pro
20/11/2006

Percelen
Gebruik de zoekbalk of klik op een perceel om informatie over het perceel te bekijken.