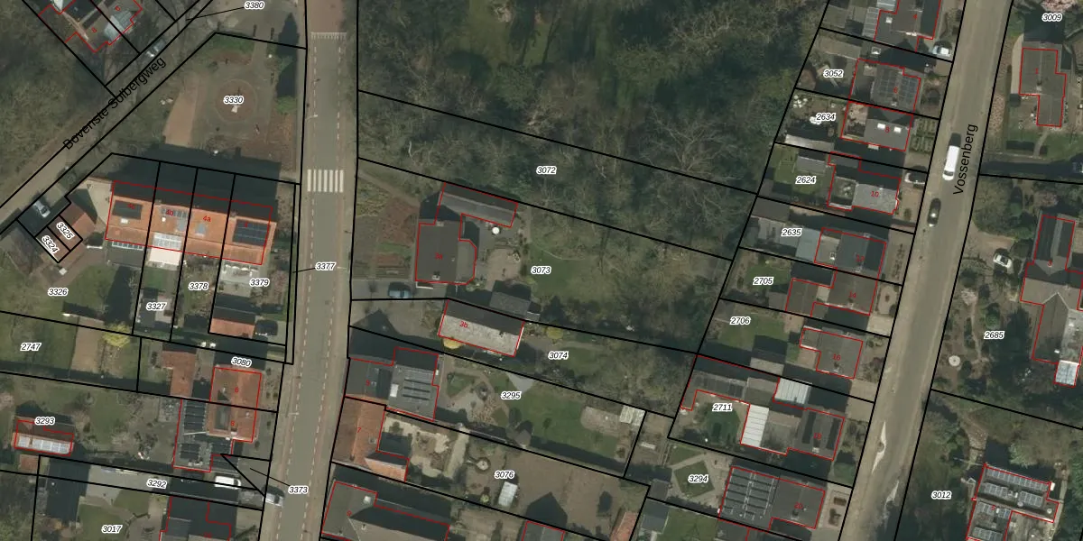
Perceel: BSL02-G-3073
1.445 m2 - 182 m
Eigenaar opvragen
BSL02-G-3073 (Beesel)
- 5954 BN
LFOg htRpb8DPFF5kmUpgrade naar KadastraleKaart Pro
Bekijk op Street View
Download DWG/DXF/Excel
7MI9YhFFJjlOHJmIZUpgrade naar KadastraleKaart Pro
dHPF2FRxHQt JHlReUpgrade naar KadastraleKaart Pro
ka1g8ffaWYdgqmlTjBqycUqUpgrade naar KadastraleKaart Pro
t4 2D7j UI o9iFxknHVUpgrade naar KadastraleKaart Pro
NNyXaHxtwnn5z UR YmSRUpgrade naar KadastraleKaart Pro
Vd07X9sdmL9gyTFUpgrade naar KadastraleKaart Pro
fpBxJIPBojTRIZUpgrade naar KadastraleKaart Pro
U2fbFr fMtqdcOUpgrade naar KadastraleKaart Pro
7Gl MOIogCRlWRY78yUpgrade naar KadastraleKaart Pro
Ttg Ry542jSfVAJ Upgrade naar KadastraleKaart Pro
15/06/2007

Percelen
Gebruik de zoekbalk of klik op een perceel om informatie over het perceel te bekijken.