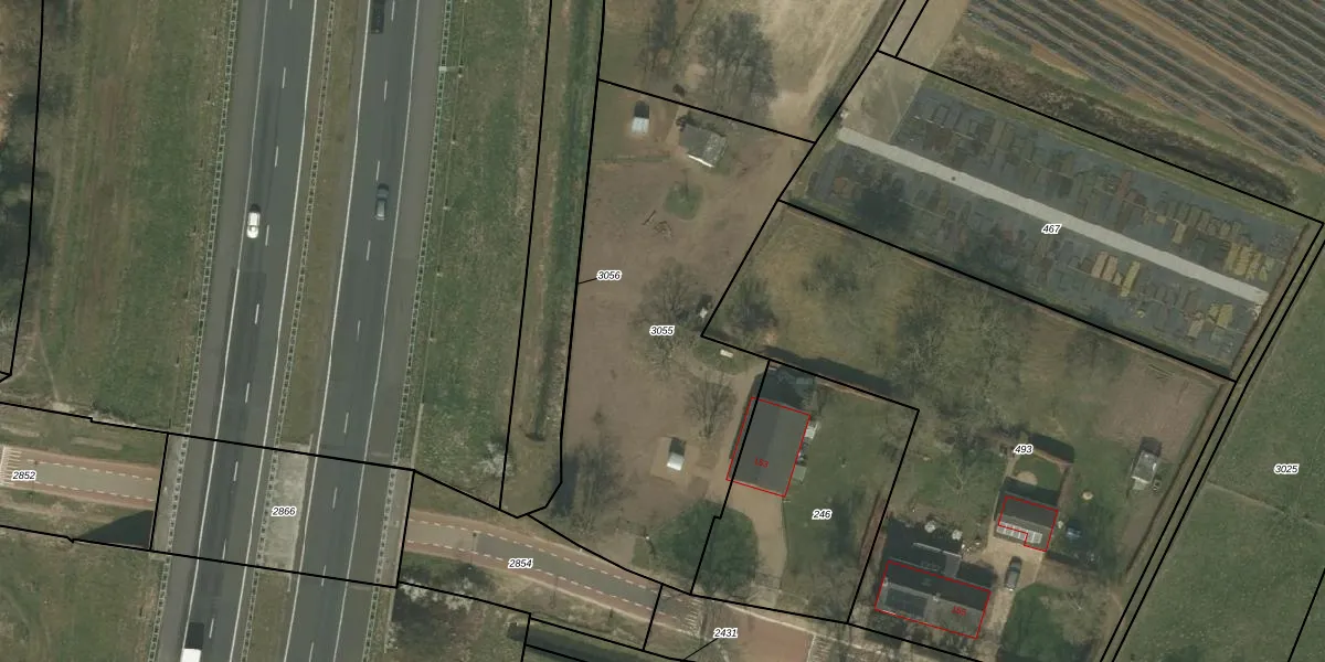
Perceel: BSL02-K-3055
KadastraleKaart.com kan meer dan je denktOntdek meer ›
Filter op bestemming 50+ datasets Eigendomsdata in één klik Percelen CRM
Geen adressen bij dit perceel
1.867 m2 - 214 m
Eigenaar opvragen
BSL02-K-3055 (Beesel)
- Geen postcode aanwezig
ZOBRS09n 9GH5Og 0sJr4Z 6W21jhckUpgrade naar KadastraleKaart Pro
Bekijk op Street View
Download DWG/DXF/Excel
NSw HoV2y0BBy0 TQ N07zMUpgrade naar KadastraleKaart Pro
NnCkQ1UTN Upgrade naar KadastraleKaart Pro
Y7DG MRv07Upgrade naar KadastraleKaart Pro
WdjKOJfF cYliMF AkCUpgrade naar KadastraleKaart Pro
itVLIxG0JWfgP1ZUpgrade naar KadastraleKaart Pro
Vp1LGy98o1 bhkdPsUpgrade naar KadastraleKaart Pro
vmzr npkSU2 V39NdB eUpgrade naar KadastraleKaart Pro
n HFzOnh4Upgrade naar KadastraleKaart Pro
suU8hez 4PnF8hWfjIGV5Upgrade naar KadastraleKaart Pro
1n7Mnfu q0CP2Upgrade naar KadastraleKaart Pro
21/12/2023

Percelen
Gebruik de zoekbalk of klik op een perceel om informatie over het perceel te bekijken.