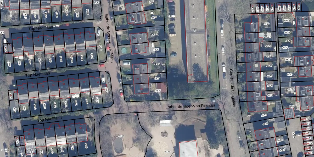
Perceel: BSM01-D-4307
KadastraleKaart.com kan meer dan je denktOntdek meer ›
Filter op bestemming 50+ datasets Eigendomsdata in één klik Percelen CRM
176 m2 - 69 m
Eigenaar opvragen
BSM01-D-4307 (Bussum)
- 1403 GC
U9 7OVYVNxn nxzFWFIOYGrIt2cWUpgrade naar KadastraleKaart Pro
Bekijk op Street View
Download DWG/DXF/Excel
oy1hjHsPYUpgrade naar KadastraleKaart Pro
sKtO4JDW4mUpgrade naar KadastraleKaart Pro
B YVSSY2l sYhRpIpNUlwgUpgrade naar KadastraleKaart Pro
xx4n uyEcsUpgrade naar KadastraleKaart Pro
RfpHQ gz7aisLBUpgrade naar KadastraleKaart Pro
zi tGqTJNxH7fjp2uUpgrade naar KadastraleKaart Pro
rV2dXSnYr9gGvzdUpgrade naar KadastraleKaart Pro
EFRd7BqlKCblU4a62iO8fUpgrade naar KadastraleKaart Pro
yae8nmr oRVPTceUpgrade naar KadastraleKaart Pro
Dk8VoFHQG5vKLUpgrade naar KadastraleKaart Pro
29/11/2005

Percelen
Gebruik de zoekbalk of klik op een perceel om informatie over het perceel te bekijken.