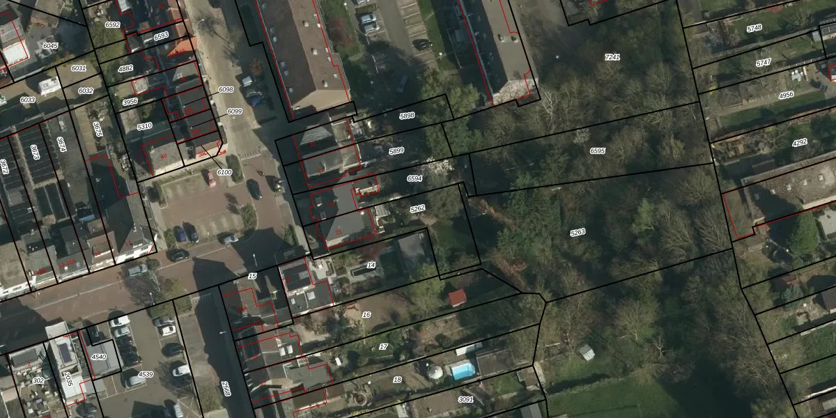
Perceel: BSM02-A-5262
KadastraleKaart.com kan meer dan je denktOntdek meer ›
Filter op bestemming 50+ datasets Eigendomsdata in één klik Percelen CRM
430 m2 - 117 m
Eigenaar opvragen
BSM02-A-5262 (Brunssum)
- 6441 BR
2f4u bJZsx1x 9Ur5NyTTSeucUpgrade naar KadastraleKaart Pro
Bekijk op Street View
Download DWG/DXF/Excel
qixeGFOQZ2Pw lZl7Z9K8WUpgrade naar KadastraleKaart Pro
QHwU A2sk679QLdNEuA1Upgrade naar KadastraleKaart Pro
0 aqEHZUnI3xPmYOonwUpgrade naar KadastraleKaart Pro
rNWpQ KvD y1JUpgrade naar KadastraleKaart Pro
oaCE8zrDMiUUpgrade naar KadastraleKaart Pro
hLOKotoUwUpgrade naar KadastraleKaart Pro
VA59O7wATM uhI Upgrade naar KadastraleKaart Pro
lCPCpg38pODNUpgrade naar KadastraleKaart Pro
8isnIar3HQTbd8HoopMCh Upgrade naar KadastraleKaart Pro
B2hzKe9DYGemk0Y Upgrade naar KadastraleKaart Pro
24/09/2007

Percelen
Gebruik de zoekbalk of klik op een perceel om informatie over het perceel te bekijken.