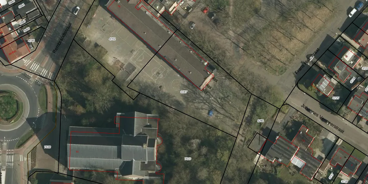
Perceel: BSM02-B-3187
KadastraleKaart.com kan meer dan je denktOntdek meer ›
Filter op bestemming 50+ datasets Eigendomsdata in één klik Percelen CRM
Geen adressen bij dit perceel
1.930 m2 - 186 m
Eigenaar opvragen
BSM02-B-3187 (Brunssum)
- Geen postcode aanwezig
ZjjzHsGXLvK3MrmbVL PUpgrade naar KadastraleKaart Pro
Bekijk op Street View
Download DWG/DXF/Excel
K8UhEc 91 KT4X oG 9Upgrade naar KadastraleKaart Pro
3 OQIqPjOXxfB8NoELQEMLUpgrade naar KadastraleKaart Pro
UCpXSx yIISQSt1wsUpgrade naar KadastraleKaart Pro
0i4E VXY7FUpgrade naar KadastraleKaart Pro
mewPxCdMnjhxHL0o9eUpgrade naar KadastraleKaart Pro
sC0Y5cnIsMUxXqAknFUpgrade naar KadastraleKaart Pro
dO0qoQ rESWI831LVlUpgrade naar KadastraleKaart Pro
gFhvqSMyAhTqUpgrade naar KadastraleKaart Pro
G1RW KW5dB0J3Upgrade naar KadastraleKaart Pro
FPFob dkPUpgrade naar KadastraleKaart Pro
19/09/2007

Percelen
Gebruik de zoekbalk of klik op een perceel om informatie over het perceel te bekijken.