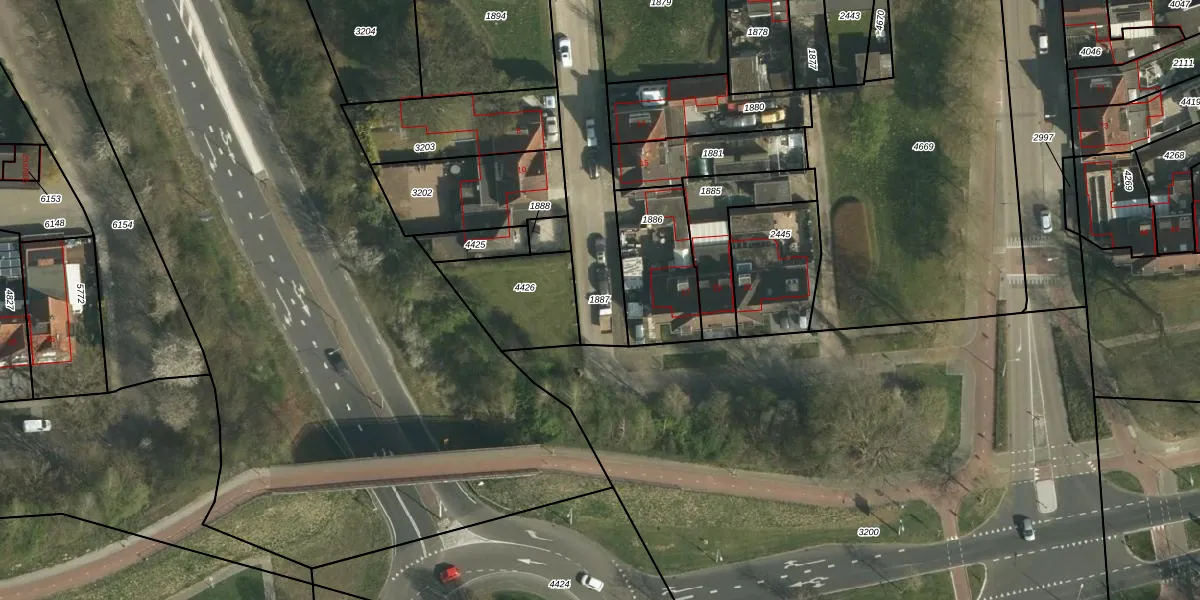
Perceel: BSM02-D-1887
KadastraleKaart.com kan meer dan je denktOntdek meer ›
Filter op bestemming 50+ datasets Eigendomsdata in één klik Percelen CRM
Geen adressen bij dit perceel
534 m2 - 148 m
Eigenaar opvragen
BSM02-D-1887 (Brunssum)
- Geen postcode aanwezig
S55n0ixjjvvVVPJSgAzQUpgrade naar KadastraleKaart Pro
Bekijk op Street View
Download DWG/DXF/Excel
XIt47f1MeEvmyUpgrade naar KadastraleKaart Pro
3MKOxvfFnHtLUpgrade naar KadastraleKaart Pro
cwvBm2xDkJWZH5EblWiunUpgrade naar KadastraleKaart Pro
ZW1ConAkpUpgrade naar KadastraleKaart Pro
rn3SV4utWE1OiDWUpgrade naar KadastraleKaart Pro
XIZl99r 68kIIUpgrade naar KadastraleKaart Pro
hlJfnQtkBsX0N061NPN7PGyUpgrade naar KadastraleKaart Pro
woDYx 0kLUpgrade naar KadastraleKaart Pro
o4YRWRGxRPR kEhYx7XfUpgrade naar KadastraleKaart Pro
IU1 FtljUpgrade naar KadastraleKaart Pro
08/04/2010

Percelen
Gebruik de zoekbalk of klik op een perceel om informatie over het perceel te bekijken.