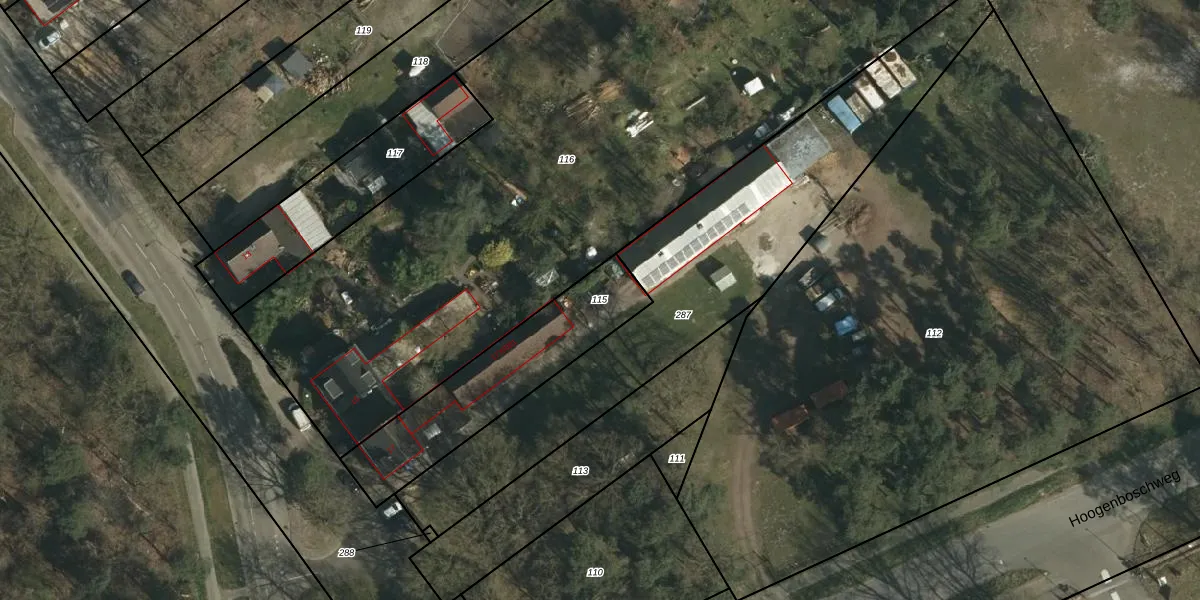
Perceel: BSM02-H-115
KadastraleKaart.com kan meer dan je denktOntdek meer ›
Filter op bestemming 50+ datasets Eigendomsdata in één klik Percelen CRM
584 m2 - 135 m
Eigenaar opvragen
BSM02-H-115 (Brunssum)
- 6442 PB
xTAXAN yCjRQiXFV5dUpgrade naar KadastraleKaart Pro
Bekijk op Street View
Download DWG/DXF/Excel
ZsfPPwU0Upgrade naar KadastraleKaart Pro
b2XR3CtJzP qaUpgrade naar KadastraleKaart Pro
LApUyJNXRSulk5XqmUpgrade naar KadastraleKaart Pro
52imjGlQ9vZUpgrade naar KadastraleKaart Pro
HU2JdjybwUpgrade naar KadastraleKaart Pro
pKaMXpqYJyznl XaJsJcPU Upgrade naar KadastraleKaart Pro
j5dmauxHrf5dWqsVG9MG0L Upgrade naar KadastraleKaart Pro
wHHgVzH5Upgrade naar KadastraleKaart Pro
XmT5LW3 E6JxkkUpgrade naar KadastraleKaart Pro
ecPmQOGCXC5NkUpgrade naar KadastraleKaart Pro
01/10/2007

Percelen
Gebruik de zoekbalk of klik op een perceel om informatie over het perceel te bekijken.