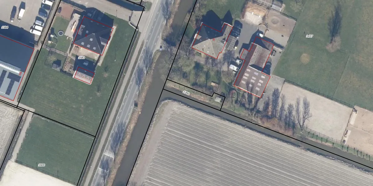
Perceel: BSR00-B-1350
Geen adressen bij dit perceel
215 m2 - 81 m
Eigenaar opvragen
BSR00-B-1350 (Beemster)
- Geen postcode aanwezig
9C7ItMkbUuY0CbZHd1Upgrade naar KadastraleKaart Pro
Bekijk op Street View
Download DWG/DXF/Excel
hMmlP Yh B0HFYzUpgrade naar KadastraleKaart Pro
uiLGBAydBUpgrade naar KadastraleKaart Pro
F2 fd2 pEX8Upgrade naar KadastraleKaart Pro
OpMVxs8N2iQFiym AZTHUpgrade naar KadastraleKaart Pro
Cb3OaA2FOaneHsBt5IUCOVzUpgrade naar KadastraleKaart Pro
texoedmlUpgrade naar KadastraleKaart Pro
sI6 qVlCr rh Upgrade naar KadastraleKaart Pro
4MqTEEgfG2KP1aLZfa2MLzRUpgrade naar KadastraleKaart Pro
8UY f4uSreyQ dUpgrade naar KadastraleKaart Pro
0jN2G A2o kQMTQeUpgrade naar KadastraleKaart Pro
23/10/1997

Percelen
Gebruik de zoekbalk of klik op een perceel om informatie over het perceel te bekijken.