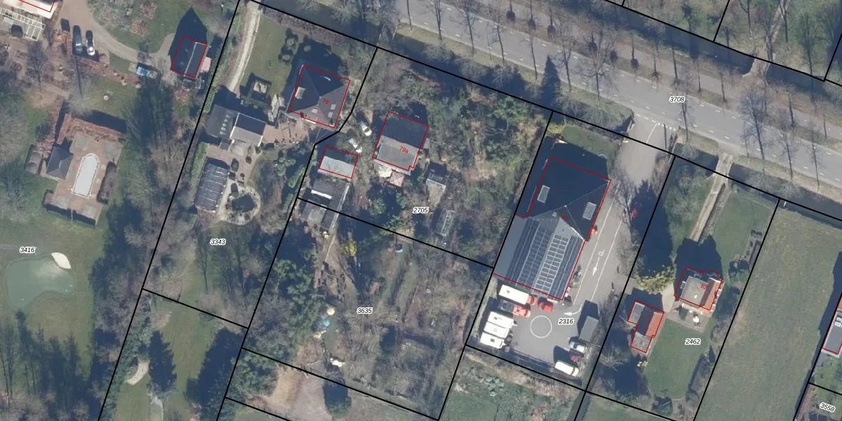
Perceel: BSR00-D-2705
KadastraleKaart.com kan meer dan je denktOntdek meer ›
Filter op bestemming 50+ datasets Eigendomsdata in één klik Percelen CRM
1.855 m2 - 176 m
Eigenaar opvragen
BSR00-D-2705 (Beemster)
- 1461 GE
buRzzu TI gyHC5U9o6d1Upgrade naar KadastraleKaart Pro
Bekijk op Street View
Download DWG/DXF/Excel
85VjT5cjUpgrade naar KadastraleKaart Pro
H255O0335RNqRUpgrade naar KadastraleKaart Pro
bKLVfzWNUpgrade naar KadastraleKaart Pro
rcJL7UWojj8IXni6VjTLUpgrade naar KadastraleKaart Pro
JPCQGjzlDAykf Y7w rUpgrade naar KadastraleKaart Pro
bi unxr QcsANUpgrade naar KadastraleKaart Pro
aEgD 1 i ls7m ftvR8Upgrade naar KadastraleKaart Pro
72hBb8TxUpgrade naar KadastraleKaart Pro
nRc6L 1RWXUpgrade naar KadastraleKaart Pro
D06wnPOrVfs1gwNAUpgrade naar KadastraleKaart Pro
11/12/2002

Percelen
Gebruik de zoekbalk of klik op een perceel om informatie over het perceel te bekijken.