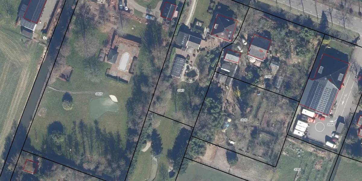
Perceel: BSR00-D-3343
KadastraleKaart.com kan meer dan je denktOntdek meer ›
Filter op bestemming 50+ datasets Eigendomsdata in één klik Percelen CRM
2.172 m2 - 210 m
Eigenaar opvragen
BSR00-D-3343 (Beemster)
- 1461 GE
7fyfCtZQUNwjgvibPZU61 f9GPO3FUpgrade naar KadastraleKaart Pro
Verkoopprijs opvragen
Bekijk op Street View
Download DWG/DXF/Excel
zgSC3BdG8L f Upgrade naar KadastraleKaart Pro
3nNekxeT27p2AGkUpgrade naar KadastraleKaart Pro
JYwAvgWV9t O wUpgrade naar KadastraleKaart Pro
WB6bYzSK94o9SKJdUpgrade naar KadastraleKaart Pro
TjnQECrP4ElP3xh JHUpgrade naar KadastraleKaart Pro
9Mvh VLIUpgrade naar KadastraleKaart Pro
8HNDp j OmfOizrUpgrade naar KadastraleKaart Pro
fiWdIrM3a7pyLLLGbUpgrade naar KadastraleKaart Pro
Wgd1 eODUpgrade naar KadastraleKaart Pro
m1guABVnUpgrade naar KadastraleKaart Pro
11/12/2002

Percelen
Gebruik de zoekbalk of klik op een perceel om informatie over het perceel te bekijken.