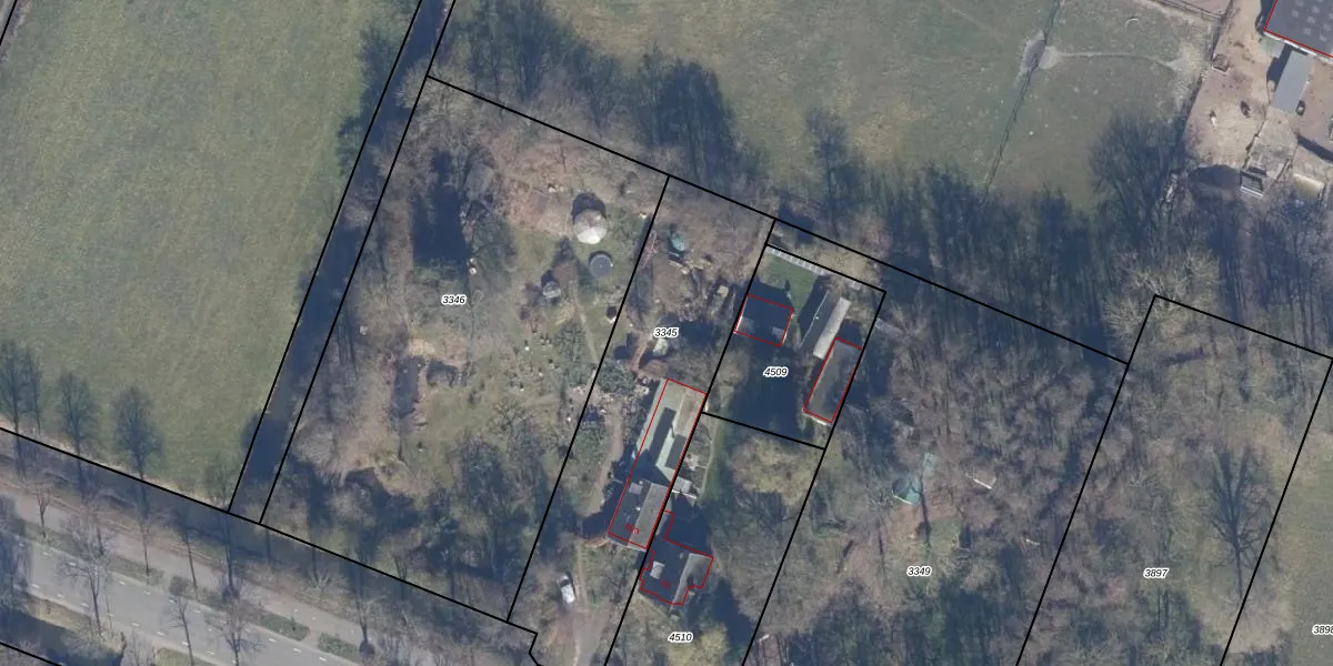
Perceel: BSR00-D-3345
KadastraleKaart.com kan meer dan je denktOntdek meer ›
Filter op bestemming 50+ datasets Eigendomsdata in één klik Percelen CRM
1.190 m2 - 184 m
Eigenaar opvragen
BSR00-D-3345 (Beemster)
- 1461 GK
UL2WG8mqhy g 9wED h Upgrade naar KadastraleKaart Pro
Bekijk op Street View
Download DWG/DXF/Excel
adjbxd8hJQkuN XLJbxLMUpgrade naar KadastraleKaart Pro
r28 nXlfWpGlAUpgrade naar KadastraleKaart Pro
mZQEGIlWxtsa wh09EaKgUpgrade naar KadastraleKaart Pro
vhom1KKjvO KjZUpgrade naar KadastraleKaart Pro
d7b8MliUpgrade naar KadastraleKaart Pro
d9TW4Qn8Ia B AmgUpgrade naar KadastraleKaart Pro
TDML 8cCiUpgrade naar KadastraleKaart Pro
87v67J2pLPmREUpgrade naar KadastraleKaart Pro
jf6J93zEMmUr BCFXUpgrade naar KadastraleKaart Pro
m25XTDRL h 2AUpgrade naar KadastraleKaart Pro
17/04/2018

Percelen
Gebruik de zoekbalk of klik op een perceel om informatie over het perceel te bekijken.