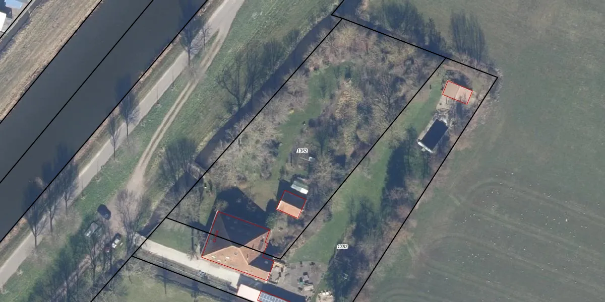
Perceel: BSR00-F-1352
3.120 m2 - 251 m
Eigenaar opvragen
BSR00-F-1352 (Beemster)
- 1464 PC
1hF c9qRO11w8L7nQyq M1HF6vUpgrade naar KadastraleKaart Pro
Verkoopprijs opvragen
Bekijk op Street View
Download DWG/DXF/Excel
4JR3ZiV 6c7B0 PUpgrade naar KadastraleKaart Pro
sLdWBUA7ef7gtQ dDe6RUpgrade naar KadastraleKaart Pro
GAnq9hDMFvBKFCmXcqVUpgrade naar KadastraleKaart Pro
2TcyoN Q3dY lddq9rdUpgrade naar KadastraleKaart Pro
B9Jg4HXIJvL Upgrade naar KadastraleKaart Pro
zYdlFmlHRwwULd seZIUpgrade naar KadastraleKaart Pro
XXRAzxF6ue ZGfVpiLUzIDUpgrade naar KadastraleKaart Pro
42 wuFbDoBbr4gdwwTUpgrade naar KadastraleKaart Pro
bZ4lH2PYM6sBK2v1 N5Upgrade naar KadastraleKaart Pro
fp5PaOTx1V ADKeKj yZRUpgrade naar KadastraleKaart Pro
23/10/1997

Percelen
Gebruik de zoekbalk of klik op een perceel om informatie over het perceel te bekijken.