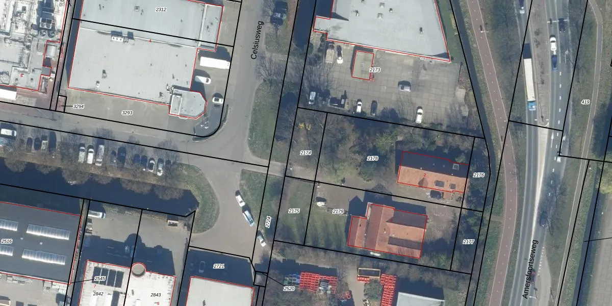
Perceel: BST01-G-2174
KadastraleKaart.com kan meer dan je denktOntdek meer ›
Filter op bestemming 50+ datasets Eigendomsdata in één klik Percelen CRM
Geen adressen bij dit perceel
230 m2 - 65 m
Eigenaar opvragen
BST01-G-2174 (Bunschoten)
- Geen postcode aanwezig
kDtbl4aOx TfHoDgP3DYcPFPUpgrade naar KadastraleKaart Pro
Bekijk op Street View
Download DWG/DXF/Excel
k3JS48DvhnFejWUpgrade naar KadastraleKaart Pro
A5nS8sCg112dMt44wUEKUpgrade naar KadastraleKaart Pro
C pzccTP39mUpgrade naar KadastraleKaart Pro
ugQ Nqy7UGTNEH wlvktFTUpgrade naar KadastraleKaart Pro
2vjUw 2o uWJ4gO96hZKVvUpgrade naar KadastraleKaart Pro
ynA CsLq4K9hcsUpgrade naar KadastraleKaart Pro
wMN I9rV6DEemUpgrade naar KadastraleKaart Pro
dFCYUJY 6lRfnUpgrade naar KadastraleKaart Pro
tHmrz 3jtioeRSXIbl1 EPUpgrade naar KadastraleKaart Pro
LyOcyR5XbtB8cdZ1Upgrade naar KadastraleKaart Pro
14/11/1997

Percelen
Gebruik de zoekbalk of klik op een perceel om informatie over het perceel te bekijken.