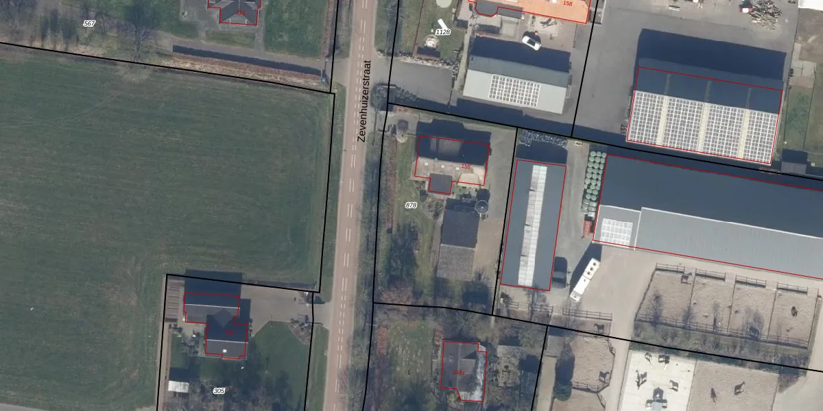
Perceel: BST01-N-878
KadastraleKaart.com kan meer dan je denktOntdek meer ›
Filter op bestemming 50+ datasets Eigendomsdata in één klik Percelen CRM
1.460 m2 - 156 m
Eigenaar opvragen
BST01-N-878 (Bunschoten)
- 3751 LD
OxrIUKED2fbWzhnXsUpgrade naar KadastraleKaart Pro
Bekijk op Street View
Download DWG/DXF/Excel
jWGRzejy5bP WHU7Upgrade naar KadastraleKaart Pro
jj9N pJe4RT6H7QQqUpgrade naar KadastraleKaart Pro
neI040H zd2b7oUpgrade naar KadastraleKaart Pro
0JDAIQTeCR CpUpgrade naar KadastraleKaart Pro
3izDR 5vywqfUpgrade naar KadastraleKaart Pro
ZFqRY D cIialKbNQwfpUpgrade naar KadastraleKaart Pro
ZB r 4gJUpgrade naar KadastraleKaart Pro
vF7mn7t3rSSTY8Upgrade naar KadastraleKaart Pro
HyulMk YzND5l1sm M1hf3Upgrade naar KadastraleKaart Pro
myyc5qwAGeSGgCicSzh o09Upgrade naar KadastraleKaart Pro
27/03/2012

Percelen
Gebruik de zoekbalk of klik op een perceel om informatie over het perceel te bekijken.