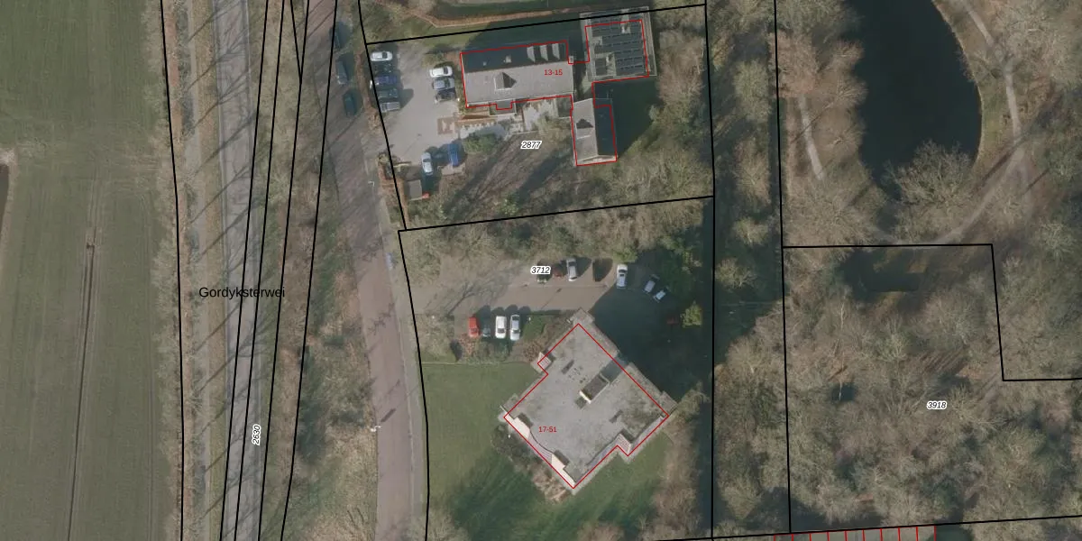
Perceel: BSZ00-B-3712
KadastraleKaart.com kan meer dan je denktOntdek meer ›
Filter op bestemming 50+ datasets Eigendomsdata in één klik Percelen CRM
3.335 m2 - 235 m
Eigenaar opvragen
BSZ00-B-3712 (Beetsterzwaag)
- 9244 GB
AeL2yadqrh6vMtHZwd3i1eEgj BkXpUpgrade naar KadastraleKaart Pro
Bekijk op Street View
Download DWG/DXF/Excel
4 I2zb a7DGeDcjiaKUpgrade naar KadastraleKaart Pro
2t881wPRXKyOR FPYFVUpgrade naar KadastraleKaart Pro
rP2rVnuc3 QigNUUpgrade naar KadastraleKaart Pro
qui1Ff37ARUl bf1XBlYUpgrade naar KadastraleKaart Pro
2FQ98KxvWnt2J26kZZEYL7Upgrade naar KadastraleKaart Pro
LR0LjKH1Upgrade naar KadastraleKaart Pro
MaET6z BfNw2IvmgDk58DUpgrade naar KadastraleKaart Pro
hN6c6GE0JgdfjUpgrade naar KadastraleKaart Pro
QQd6QhPh2IyecC5YaUpgrade naar KadastraleKaart Pro
sQTDzkmuRdF5a8wvUpgrade naar KadastraleKaart Pro
15/01/1998

Percelen
Gebruik de zoekbalk of klik op een perceel om informatie over het perceel te bekijken.