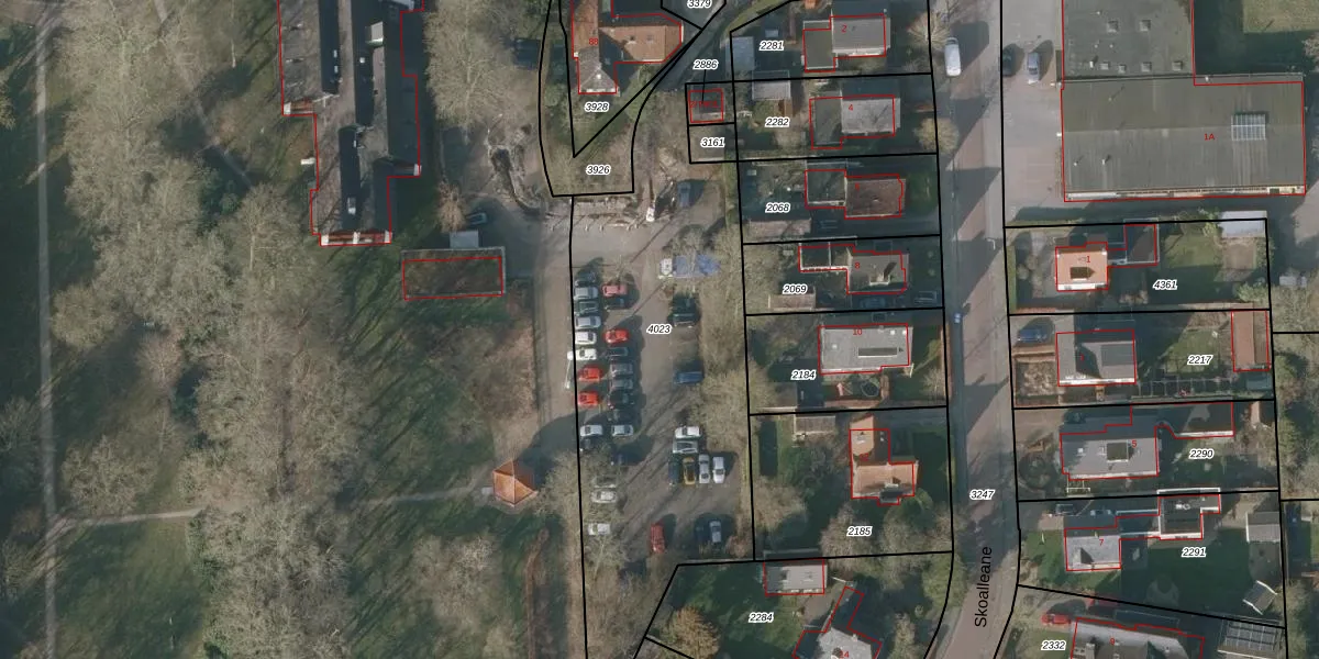
Perceel: BSZ00-B-4023
KadastraleKaart.com kan meer dan je denktOntdek meer ›
Filter op bestemming 50+ datasets Eigendomsdata in één klik Percelen CRM
Geen adressen bij dit perceel
2.125 m2 - 334 m
Eigenaar opvragen
BSZ00-B-4023 (Beetsterzwaag)
- Geen postcode aanwezig
MP G4 Zh 6uwjHakrUpgrade naar KadastraleKaart Pro
Bekijk op Street View
Download DWG/DXF/Excel
023ALw06Xmf0Upgrade naar KadastraleKaart Pro
OE3S8JqtnyQmX6QUpgrade naar KadastraleKaart Pro
HY4fCHy q11R3wPjAxyW Upgrade naar KadastraleKaart Pro
cbyMKLzbVO9 Upgrade naar KadastraleKaart Pro
MwVNpgR 1fUpgrade naar KadastraleKaart Pro
MAzp8CT 9Upgrade naar KadastraleKaart Pro
0O0CDCeG2 cyfUpgrade naar KadastraleKaart Pro
K ll KEJy7cLzT6hkaUpgrade naar KadastraleKaart Pro
Xfx UcWMeC2w7bg Upgrade naar KadastraleKaart Pro
QSWxXvdicXywUpgrade naar KadastraleKaart Pro
15/01/1998

Percelen
Gebruik de zoekbalk of klik op een perceel om informatie over het perceel te bekijken.