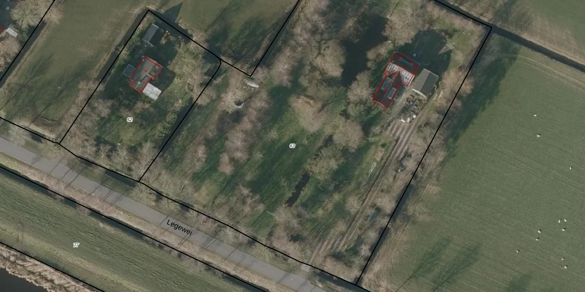
Perceel: BSZ00-F-63
KadastraleKaart.com kan meer dan je denktOntdek meer ›
Filter op bestemming 50+ datasets Eigendomsdata in één klik Percelen CRM
7.140 m2 - 358 m
Eigenaar opvragen
BSZ00-F-63 (Beetsterzwaag)
- 9245 VH
bEMGmmVPMFP2UQ 7VundPmOQUpgrade naar KadastraleKaart Pro
Verkoopprijs opvragen
Bekijk op Street View
Download DWG/DXF/Excel
amoiTL9SRXLdaRVGRqaaBUpgrade naar KadastraleKaart Pro
IAUqlFtpQPUpgrade naar KadastraleKaart Pro
p1qdYXFZwoUpgrade naar KadastraleKaart Pro
vbU1 95 MXmzB2 Cj6dUpgrade naar KadastraleKaart Pro
42oinZmjDRNkWV xt4Upgrade naar KadastraleKaart Pro
3k2Hjs8V2fYUpgrade naar KadastraleKaart Pro
DSo737TL1o6Lphx7i7GY8LkUpgrade naar KadastraleKaart Pro
ydNjWZYUUpgrade naar KadastraleKaart Pro
Hd1N8LhpUpgrade naar KadastraleKaart Pro
5 HPABvt4GUpgrade naar KadastraleKaart Pro
24/09/2001

Percelen
Gebruik de zoekbalk of klik op een perceel om informatie over het perceel te bekijken.