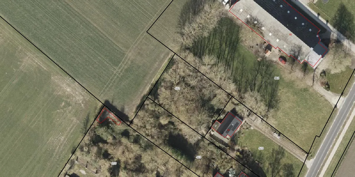
Perceel: BTA00-L-512
KadastraleKaart.com kan meer dan je denktOntdek meer ›
Filter op bestemming 50+ datasets Eigendomsdata in één klik Percelen CRM
Geen adressen bij dit perceel
1.110 m2 - 136 m
Eigenaar opvragen
BTA00-L-512 (Beerta)
- Geen postcode aanwezig
EtOj q1O 9anWtPsEy7w25xUpgrade naar KadastraleKaart Pro
Bekijk op Street View
Download DWG/DXF/Excel
Mzz SG2DTtCS9vUpgrade naar KadastraleKaart Pro
62XWjOQoQ8fsH8Upgrade naar KadastraleKaart Pro
CS51ab Oz01 6 MUpgrade naar KadastraleKaart Pro
GM XfoVRXuJUpgrade naar KadastraleKaart Pro
6GHQAT8NBUpgrade naar KadastraleKaart Pro
v7YdA6HwAraqK7T34jJUpgrade naar KadastraleKaart Pro
giA1a1l AD0Upgrade naar KadastraleKaart Pro
RmpTbAoWQM1oUpgrade naar KadastraleKaart Pro
ebaqMqogzUjjUpgrade naar KadastraleKaart Pro
G4 b9 asadK4wayPVayZBBXUpgrade naar KadastraleKaart Pro
10/10/2007

Percelen
Gebruik de zoekbalk of klik op een perceel om informatie over het perceel te bekijken.