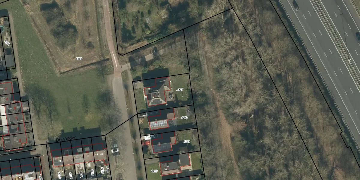
Perceel: BTL00-D-4417
KadastraleKaart.com kan meer dan je denktOntdek meer ›
Filter op bestemming 50+ datasets Eigendomsdata in één klik Percelen CRM
575 m2 - 99 m
Eigenaar opvragen
BTL00-D-4417 (Boxtel)
- 5283 ZE
HwvgvgGcB6RsBz IUpgrade naar KadastraleKaart Pro
Verkoopprijs opvragen
Bekijk op Street View
Download DWG/DXF/Excel
NsZ7YgZLmjQkx6DC Upgrade naar KadastraleKaart Pro
VKBILz J8YeTgQp8Upgrade naar KadastraleKaart Pro
fmdFQ JXcUZyyF wFUpgrade naar KadastraleKaart Pro
lQLB gajvk VGVqMQd Upgrade naar KadastraleKaart Pro
grUfwtdBdUpgrade naar KadastraleKaart Pro
KwzDzkX4VBKZyCUTup5Upgrade naar KadastraleKaart Pro
3OiWY T2 zTq9J0LnbUpgrade naar KadastraleKaart Pro
o UXZv8OksSnfijXfUpgrade naar KadastraleKaart Pro
Q3vK OknNFO4u 1jUpgrade naar KadastraleKaart Pro
59P o frHBOK STvYoUpgrade naar KadastraleKaart Pro
12/06/2009

Percelen
Gebruik de zoekbalk of klik op een perceel om informatie over het perceel te bekijken.