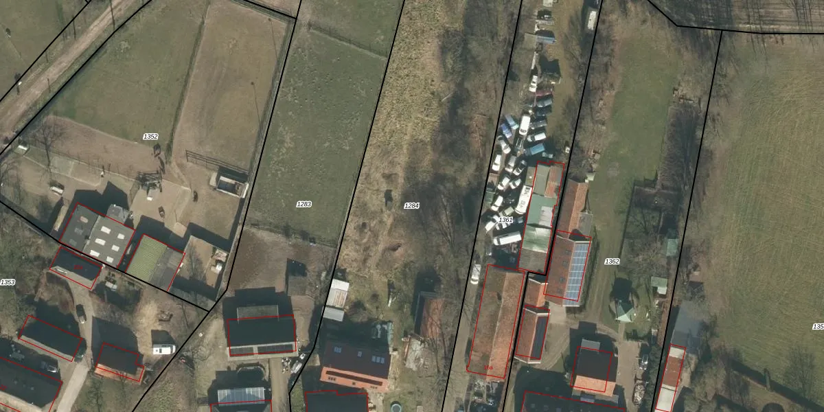
Perceel: BTL00-G-1284
KadastraleKaart.com kan meer dan je denktOntdek meer ›
Filter op bestemming 50+ datasets Eigendomsdata in één klik Percelen CRM
4.000 m2 - 333 m
Eigenaar opvragen
BTL00-G-1284 (Boxtel)
- 5281 SH
xI BnYrL87ALcffMPMrIVTkzpXTUpgrade naar KadastraleKaart Pro
Verkoopprijs opvragen
Bekijk op Street View
Download DWG/DXF/Excel
v TOvJvw9cYqH8hRWUXHEUpgrade naar KadastraleKaart Pro
zYkak h7nUpgrade naar KadastraleKaart Pro
zM4TGmpo CfYR4YBbhJxDtUpgrade naar KadastraleKaart Pro
ftXz3edbBOOnUUpgrade naar KadastraleKaart Pro
qObuO80IFT9B2ZdoGUpgrade naar KadastraleKaart Pro
UmfySH b CBDSLJ8T7Zr5Upgrade naar KadastraleKaart Pro
5lj vpWUx HIT qUpgrade naar KadastraleKaart Pro
2IRn4hkYMU5T oGyBUpgrade naar KadastraleKaart Pro
kIs6 A3dSYUpgrade naar KadastraleKaart Pro
2OFquLwKN qK7AUpgrade naar KadastraleKaart Pro
02/06/2009

Percelen
Gebruik de zoekbalk of klik op een perceel om informatie over het perceel te bekijken.