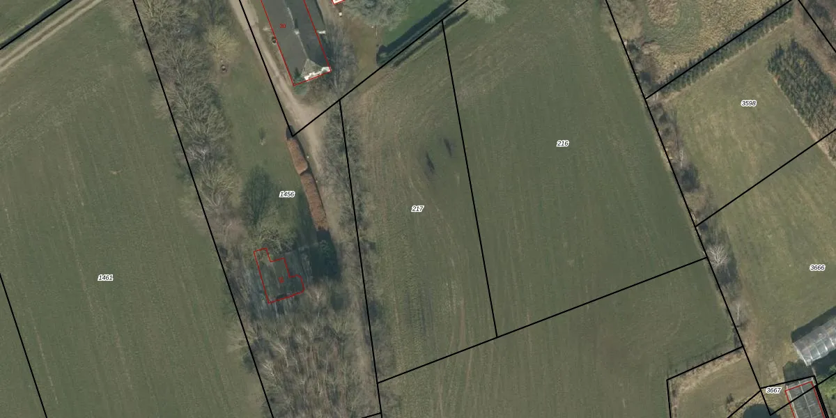
Perceel: BTL00-I-217
KadastraleKaart.com kan meer dan je denktOntdek meer ›
Filter op bestemming 50+ datasets Eigendomsdata in één klik Percelen CRM
Geen adressen bij dit perceel
2.100 m2 - 207 m
Eigenaar opvragen
BTL00-I-217 (Boxtel)
- Geen postcode aanwezig
fr 3PeDrUALmM n2yUpgrade naar KadastraleKaart Pro
Bekijk op Street View
Download DWG/DXF/Excel
dENGxx qiqwUpgrade naar KadastraleKaart Pro
ixL7wKiXpzlkBjLu5p DOUpgrade naar KadastraleKaart Pro
TUMEo3cOUpgrade naar KadastraleKaart Pro
9YAEIgcmEQmUaDCUpgrade naar KadastraleKaart Pro
MTTh x2lGSg CPcRr Upgrade naar KadastraleKaart Pro
Qt 9gVm Lz AeUpgrade naar KadastraleKaart Pro
u6Ox4iRIpCK2v 8igUpgrade naar KadastraleKaart Pro
of00Pr IHPGBYVOA4kUpgrade naar KadastraleKaart Pro
nnZq kkz8fB2xo7FzYAUpgrade naar KadastraleKaart Pro
epJC0LU85 erM M 0I 0Upgrade naar KadastraleKaart Pro
09/06/2009

Percelen
Gebruik de zoekbalk of klik op een perceel om informatie over het perceel te bekijken.