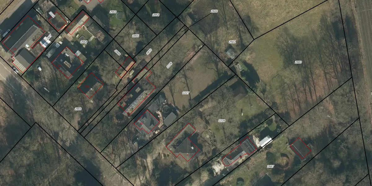
Perceel: BTL00-I-2227
KadastraleKaart.com kan meer dan je denktOntdek meer ›
Filter op bestemming 50+ datasets Eigendomsdata in één klik Percelen CRM
1.450 m2 - 198 m
Eigenaar opvragen
BTL00-I-2227 (Boxtel)
- 5282 JL
uoz4XQE5L4CgBRBfUpgrade naar KadastraleKaart Pro
Verkoopprijs opvragen
Bekijk op Street View
Download DWG/DXF/Excel
XLm1K7 DhrOKPOnUpgrade naar KadastraleKaart Pro
HrLps RwdXUpgrade naar KadastraleKaart Pro
QxtdhDBWg1v4Mei65zrSKPDUpgrade naar KadastraleKaart Pro
OJJB kMSnRUpgrade naar KadastraleKaart Pro
e B3NWF9l4BaKUpgrade naar KadastraleKaart Pro
tV9a3Bws vUpgrade naar KadastraleKaart Pro
oEiVjj4fG nZeZ4DZZozHjhUpgrade naar KadastraleKaart Pro
rXXLL13d DQWUpgrade naar KadastraleKaart Pro
CIIu3k 2UDEv6d NaEn8Upgrade naar KadastraleKaart Pro
RVWb t7sK uvX CmUpgrade naar KadastraleKaart Pro
29/04/2009

Percelen
Gebruik de zoekbalk of klik op een perceel om informatie over het perceel te bekijken.