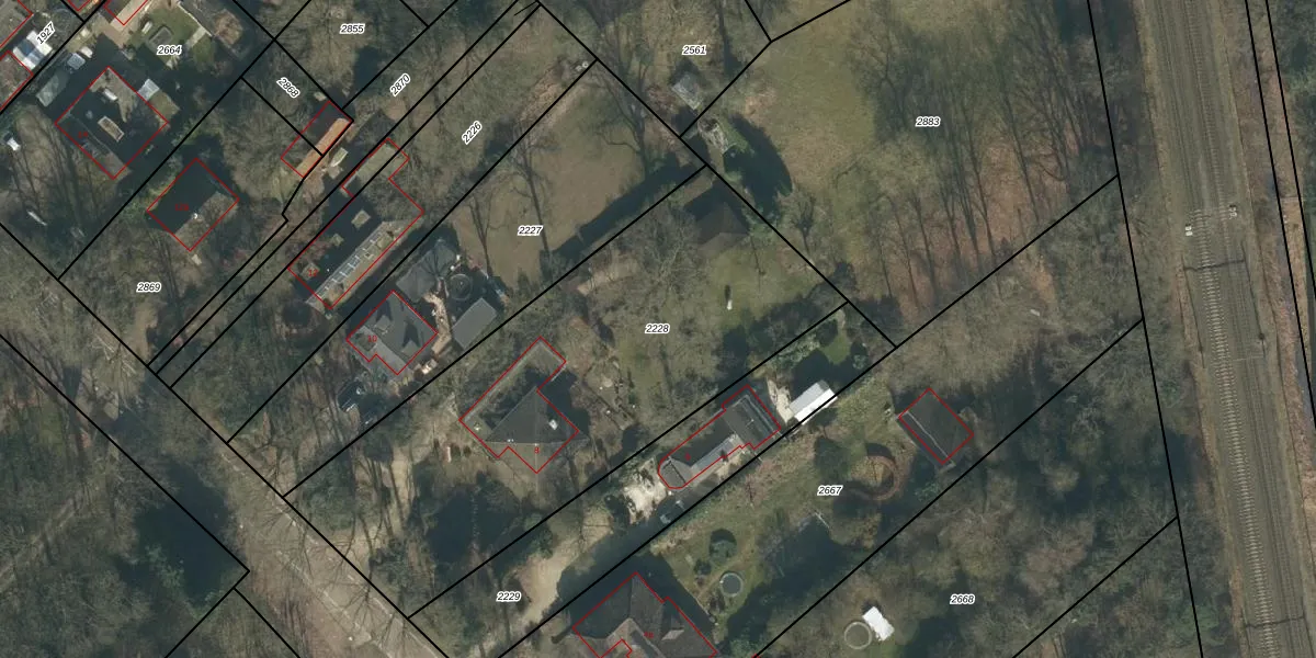
Perceel: BTL00-I-2228
KadastraleKaart.com kan meer dan je denktOntdek meer ›
Filter op bestemming 50+ datasets Eigendomsdata in één klik Percelen CRM
2.282 m2 - 221 m
Eigenaar opvragen
BTL00-I-2228 (Boxtel)
- 5282 JL
MTnCCuqRROZCykHv4eg2LCgpbMl56Upgrade naar KadastraleKaart Pro
Bekijk op Street View
Download DWG/DXF/Excel
pBAT0yqpNyme1Upgrade naar KadastraleKaart Pro
ASbNWhChjTrNpMz Upgrade naar KadastraleKaart Pro
JOeCr6X2yW4UDDDh3g 0Upgrade naar KadastraleKaart Pro
F9YymrbyCSZA5VUpgrade naar KadastraleKaart Pro
blI78w E xv9bUpgrade naar KadastraleKaart Pro
6bgvZ91esWl8QUpgrade naar KadastraleKaart Pro
xK7wBy3b KZUpgrade naar KadastraleKaart Pro
LxaT2H5sXRgY luBkZUpgrade naar KadastraleKaart Pro
O3CDY n lUpgrade naar KadastraleKaart Pro
Fev19knv1t FUpgrade naar KadastraleKaart Pro
18/05/2009

Percelen
Gebruik de zoekbalk of klik op een perceel om informatie over het perceel te bekijken.