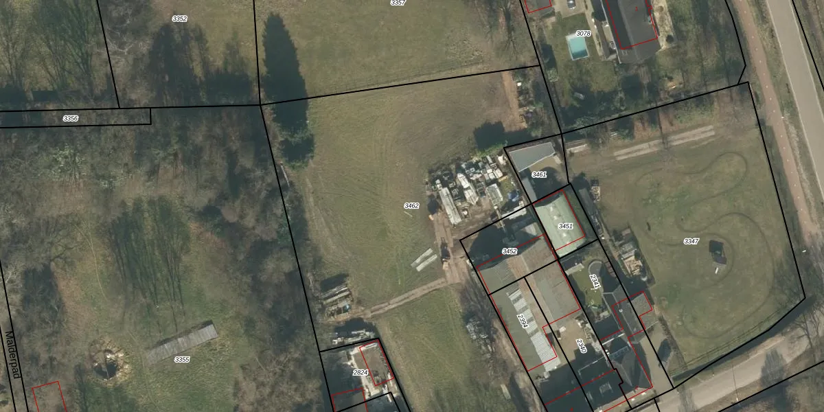
Perceel: BTL00-I-3462
Geen adressen bij dit perceel
4.429 m2 - 340 m
Eigenaar opvragen
BTL00-I-3462 (Boxtel)
- Geen postcode aanwezig
R VMdnbaP3WBxN yJVuoN2h OTUpgrade naar KadastraleKaart Pro
Bekijk op Street View
Download DWG/DXF/Excel
tBakl0LfhVHNlhe oUpgrade naar KadastraleKaart Pro
44KU4YN9JEwVM5aLfXhPEUpgrade naar KadastraleKaart Pro
PckUX5b4llFT Xx1 VsTOUpgrade naar KadastraleKaart Pro
1TaTdgERbY6Enb9Upgrade naar KadastraleKaart Pro
7ecPXwDTUpgrade naar KadastraleKaart Pro
VTu YWZjwpKrUpgrade naar KadastraleKaart Pro
mqL8 tYtDCSrAeUpgrade naar KadastraleKaart Pro
Xijs53uJ2h6GgjdWcxq3Upgrade naar KadastraleKaart Pro
q11fOBudCuaUpgrade naar KadastraleKaart Pro
Nu FFTyklPZWRUpgrade naar KadastraleKaart Pro
30/08/2018

Percelen
Gebruik de zoekbalk of klik op een perceel om informatie over het perceel te bekijken.