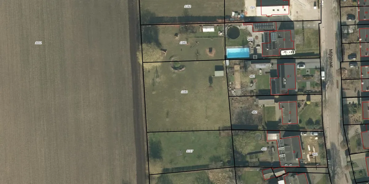
Perceel: BTL00-L-1183
KadastraleKaart.com kan meer dan je denktOntdek meer ›
Filter op bestemming 50+ datasets Eigendomsdata in één klik Percelen CRM
Geen adressen bij dit perceel
1.735 m2 - 167 m
Eigenaar opvragen
BTL00-L-1183 (Boxtel)
- Geen postcode aanwezig
paITh5rk16M rcf6a dYUpgrade naar KadastraleKaart Pro
Bekijk op Street View
Download DWG/DXF/Excel
ViPTHiJ2 RkUx z0aUpgrade naar KadastraleKaart Pro
471qTX1SsUpgrade naar KadastraleKaart Pro
x8pJzeHyx XwkUpgrade naar KadastraleKaart Pro
nUYXJGwGtz6Q7Upgrade naar KadastraleKaart Pro
NcKbM7JrQx Upgrade naar KadastraleKaart Pro
vujnftB2Vx0hFFUpgrade naar KadastraleKaart Pro
FW ODGSxvcRQ8PGqkUpgrade naar KadastraleKaart Pro
zr8m 5N1e6AUpgrade naar KadastraleKaart Pro
Tl89YE YniHPJamAb2VFpZUpgrade naar KadastraleKaart Pro
WMMs63UuRy4l9trYUpgrade naar KadastraleKaart Pro
25/08/2025

Percelen
Gebruik de zoekbalk of klik op een perceel om informatie over het perceel te bekijken.