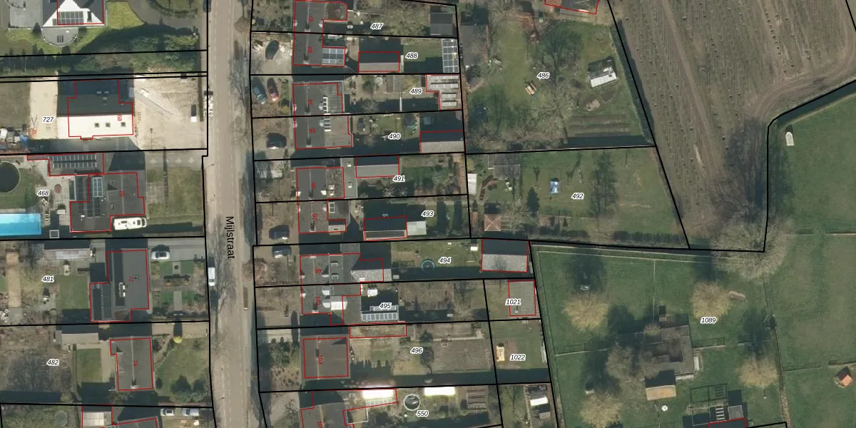
Perceel: BTL00-N-493
KadastraleKaart.com kan meer dan je denktOntdek meer ›
Filter op bestemming 50+ datasets Eigendomsdata in één klik Percelen CRM
503 m2 - 120 m
Eigenaar opvragen
BTL00-N-493 (Boxtel)
- 5281 LK
4RMVcw c8QQiCutYk7Upgrade naar KadastraleKaart Pro
Verkoopprijs opvragen
Bekijk op Street View
Download DWG/DXF/Excel
h0AiCHH0eAUpgrade naar KadastraleKaart Pro
niCsHW5ivOheSaxsyEUpgrade naar KadastraleKaart Pro
jleze 1Wfjxzoz1kleUtUpgrade naar KadastraleKaart Pro
TbAOYhoRsZMiQM8SJ6k3lMUpgrade naar KadastraleKaart Pro
RBEMGlAOy69vdh9tssHTUpgrade naar KadastraleKaart Pro
qu5pRnM cM1I3yDlmFGOhxUpgrade naar KadastraleKaart Pro
tQ SWZuWZUpgrade naar KadastraleKaart Pro
Pu8b7W7J BLUpgrade naar KadastraleKaart Pro
PW D4YOBqfIPxBM 5qUpgrade naar KadastraleKaart Pro
oEYdhbK8 2cNRLAxUpgrade naar KadastraleKaart Pro
28/11/2011

Percelen
Gebruik de zoekbalk of klik op een perceel om informatie over het perceel te bekijken.