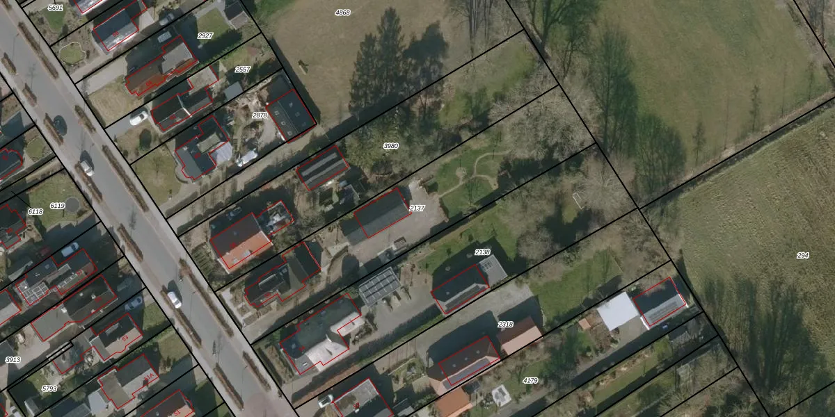
Perceel: BTP00-A-2137
KadastraleKaart.com kan meer dan je denktOntdek meer ›
Filter op bestemming 50+ datasets Eigendomsdata in één klik Percelen CRM
1.520 m2 - 225 m
Eigenaar opvragen
BTP00-A-2137 (Buitenpost)
- 9285 WL
hIIusY97LY1 5jm3q60QL flUpgrade naar KadastraleKaart Pro
Verkoopprijs opvragen
Bekijk op Street View
Download DWG/DXF/Excel
p1HMUjrQaaBCVBItekIzGArUpgrade naar KadastraleKaart Pro
G9GPb wg8TCUpgrade naar KadastraleKaart Pro
sQ f2hjMrz GCueUpgrade naar KadastraleKaart Pro
wXa8 FSAk8Upgrade naar KadastraleKaart Pro
UonGWs9YW0ePvWEV6 8YUpgrade naar KadastraleKaart Pro
k akuaXtDyZ3RWz6 YQUpgrade naar KadastraleKaart Pro
KX u W OeilN6cbJ GK3eUpgrade naar KadastraleKaart Pro
HQb5ISOTOxUpgrade naar KadastraleKaart Pro
lyOoQ4YInUpgrade naar KadastraleKaart Pro
ewCQvHy8m8gSZNr dtm0 e5Upgrade naar KadastraleKaart Pro
30/05/2006

Percelen
Gebruik de zoekbalk of klik op een perceel om informatie over het perceel te bekijken.