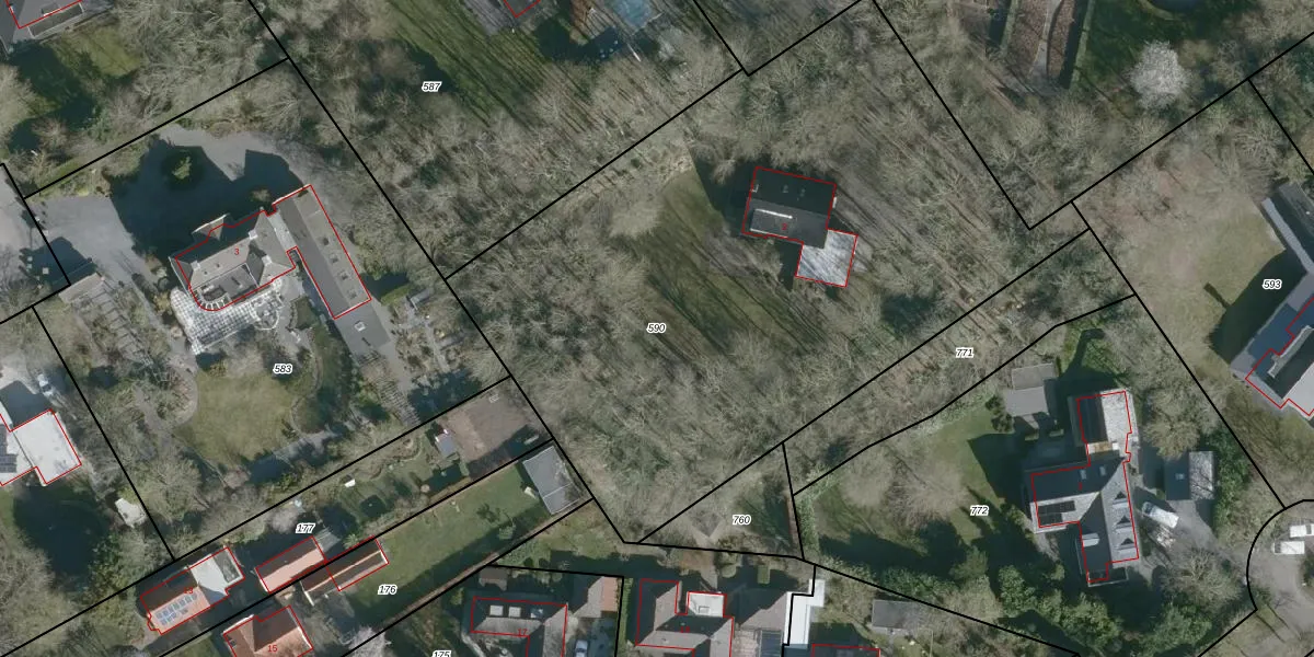
Perceel: BWH00-H-590
KadastraleKaart.com kan meer dan je denktOntdek meer ›
Filter op bestemming 50+ datasets Eigendomsdata in één klik Percelen CRM
3.890 m2 - 270 m
Eigenaar opvragen
BWH00-H-590 (Brouwershaven)
- 4317 MD
lyF8dbj 7l92oJP5cUpgrade naar KadastraleKaart Pro
Bekijk op Street View
Download DWG/DXF/Excel
tv6jb l Y8K7gz1mY fUpgrade naar KadastraleKaart Pro
J9eVLk4c6crVSyo4jV5wUpgrade naar KadastraleKaart Pro
Tn2hcWAD4 F 3xtAptUpgrade naar KadastraleKaart Pro
JKmH5lMfiP gt6k5hFUpgrade naar KadastraleKaart Pro
XXVmGnmaql5MO29QAWe8OzUpgrade naar KadastraleKaart Pro
vyL52gTJfIuJp8aKUpgrade naar KadastraleKaart Pro
re Eup sFEiL5obt Upgrade naar KadastraleKaart Pro
Dc1DFnJUpgrade naar KadastraleKaart Pro
1gfmJcSS1N toPIL GABHUpgrade naar KadastraleKaart Pro
YOJx LASiFf8l9Upgrade naar KadastraleKaart Pro
13/04/2010

Percelen
Gebruik de zoekbalk of klik op een perceel om informatie over het perceel te bekijken.