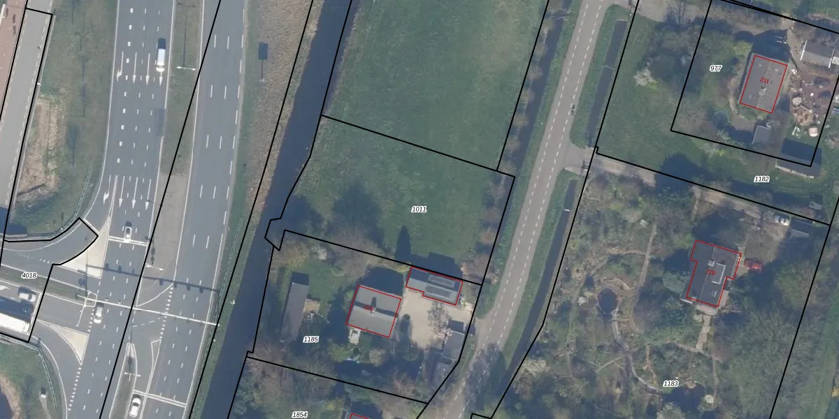
Perceel: BWK02-B-1011
KadastraleKaart.com kan meer dan je denktOntdek meer ›
Filter op bestemming 50+ datasets Eigendomsdata in één klik Percelen CRM
Geen adressen bij dit perceel
1.415 m2 - 168 m
Eigenaar opvragen
BWK02-B-1011 (Bleiswijk)
- Geen postcode aanwezig
Hqk8 DaMZ2gPj357CpRr m8qRUpgrade naar KadastraleKaart Pro
Bekijk op Street View
Download DWG/DXF/Excel
Y5AAgP2G5J4sx8ZmhPEF1rUpgrade naar KadastraleKaart Pro
wTxg9eHL CLmUiBWngi23Upgrade naar KadastraleKaart Pro
mnDTQrRW7qaUpgrade naar KadastraleKaart Pro
bzgV 3 Ts30aPJhlMxUpgrade naar KadastraleKaart Pro
69YsWB6n8W7 d kQI2vUpgrade naar KadastraleKaart Pro
Xm Chg71YytlilFFUpgrade naar KadastraleKaart Pro
yB HLQc8 daHHUpgrade naar KadastraleKaart Pro
qcae B R1MOFyLnzE 8vjQyUpgrade naar KadastraleKaart Pro
x9G 35fp9TKD hUpgrade naar KadastraleKaart Pro
4uB4ke85 hlhw qiQksaUpgrade naar KadastraleKaart Pro
20/10/2000

Percelen
Gebruik de zoekbalk of klik op een perceel om informatie over het perceel te bekijken.