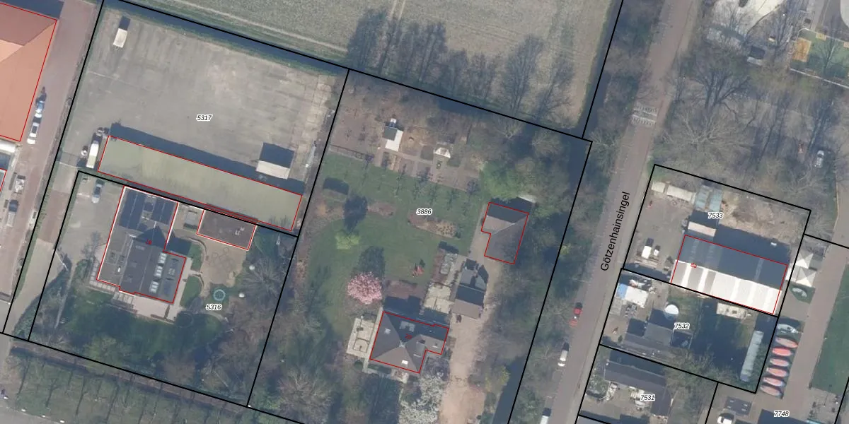
Perceel: BWK02-C-3886
KadastraleKaart.com kan meer dan je denktOntdek meer ›
Filter op bestemming 50+ datasets Eigendomsdata in één klik Percelen CRM
5.000 m2 - 287 m
Eigenaar opvragen
BWK02-C-3886 (Bleiswijk)
- 2665 KM
RUl5vZ 6qnN3IExxIUUpgrade naar KadastraleKaart Pro
Verkoopprijs opvragen
Bekijk op Street View
Download DWG/DXF/Excel
KgHYH83aow gu5Upgrade naar KadastraleKaart Pro
ft06mmZSqGUpgrade naar KadastraleKaart Pro
fa3kdoONwS2 u4hUpgrade naar KadastraleKaart Pro
hILLrvGUU8hWie1LqUpgrade naar KadastraleKaart Pro
58ecbQZhGl02sM 0qmt8M5Upgrade naar KadastraleKaart Pro
mAx5 Ef FdQHdw OQUpgrade naar KadastraleKaart Pro
4A 3TNSxdhZ3o8oMPUpgrade naar KadastraleKaart Pro
5OkKdv ptUpgrade naar KadastraleKaart Pro
A58Sq9SpQ Upgrade naar KadastraleKaart Pro
HLSXmK3CJXUpgrade naar KadastraleKaart Pro
17/04/2002

Percelen
Gebruik de zoekbalk of klik op een perceel om informatie over het perceel te bekijken.